0 Broadway Avenue, Blackfalds, Alberta T0M 0J2

Listed for:
$2,600,000
0 beds
0 baths
Listed 161 days ago
0 Broadway Avenue, Blackfalds, Alberta T0M 0J2

View all 18 photos

About

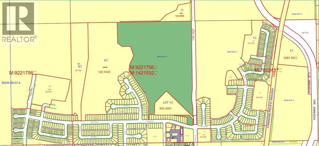
New Developments and Improvements on this project are underway! Aurora Heights SE-34 consists of 53.75 +/- acres of residential development lands sitting on the west side of Broadway Avenue (Range Road 272). The lands are located between Highway 2 and Highway 2A, the access to the highways and the town makes these lands perfectly situated for ease of access to all amenities. This quarter improvements include the initial approvals, some minor rough grading, some construction of the storm water facility plus approval of the storm water facility including paying all fees for removing wetlands to Alberta Environment. Please consider adding this to your building plan. (id:27476)

Property Highlights

MLS® Number
A2270186
Type
Vacant Land
Community Name
Aurora
Ownership Type
Freehold
Land Size
53.75 ac|50 - 79 acres

Building

Fireplace Present
No
Basement Type
Basement Features
Building Heating Type
Heating Fuel
Building Cooling Type

Location

Learn more about this property
Listing provided by:
Century 21 Foothills Real Estate
MLS® number:
A2270186
Agent:
Shawn Hansen
*Indicates required field
Name is required
Email is required
Please enter a valid phone number (e.g., 416-111-1111).