3604 Lakeshore Drive, Bonnyville, Alberta T9N 0E8

Listed for:
$183,750
0 beds
0 baths
Listed 11 days ago
3604 Lakeshore Drive, Bonnyville, Alberta T9N 0E8

View all 1 photos

About

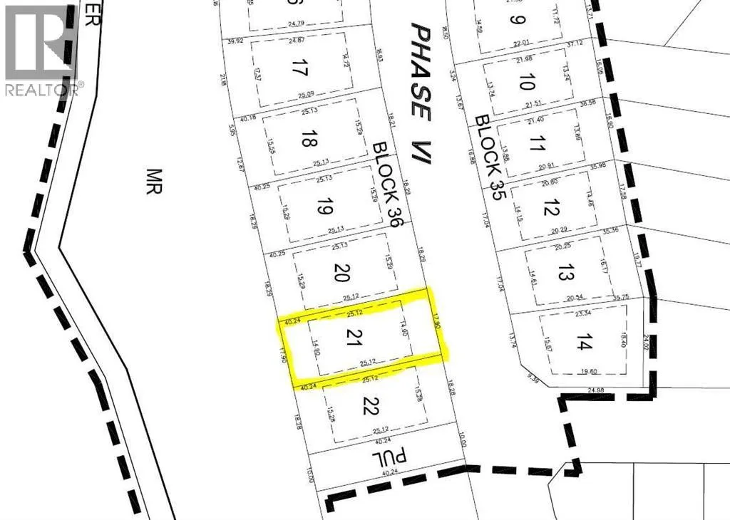
Build your dream home on the shores of Jesse Lake in Lakeview Estates, Bonnyville’s premier subdivision. This fully serviced 55 ft frontage lot offers stunning lake views, and a backyard that extends into a landscaped community park. Enjoy ample space, quiet streets, natural beauty, and a family-friendly community plus all the conveniences of urban living - no water wells, no septic, no commuting. Act now to take advantage of the Town of Bonnyville's $25,000 cash incentive and up to 5 years of property tax relief for homes built in 2026. Don’t miss this chance to secure a rare lakeshore property. Listing agent has an indirect interest in the property. (id:27476)

Property Highlights

MLS® Number
A2287687
Type
Vacant Land
Community Name
Bonnyville
Ownership Type
Freehold
Land Size
679.4 m2|7,251 - 10,889 sqft

Building

Amenities
Park, Playground, Schools, Water Nearby
Fireplace Present
No
Basement Type
Basement Features
Building Heating Type
Heating Fuel
Building Cooling Type

Location

Learn more about this property
Listing provided by:
MaxWell Capital Realty
MLS® number:
A2287687
Agent:
Gregory James Sylvestre
*Indicates required field
Name is required
Email is required
Please enter a valid phone number (e.g., 416-111-1111).

Street Spotlight - For sale