Plan 2521824, Calmar, Alberta T0C 0V0

Listed for:
$514,280
0 beds
0 baths
Listed 75 days ago
Plan 2521824, Calmar, Alberta T0C 0V0

View all 15 photos

About

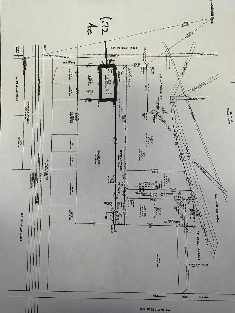
1.72 Acres of Prime Industrial Land In Calmar on High Load Corridor. Located Just off Hwy 39. Zoned M1 Industrial District. Power and Natural Gas Available at Each Lot. Must Use Cisterns and Septic Tanks Only. Taxes have not yet been Assessed.Other Property Types: Commercial LandOwnership Interest: PrivateSite Services: No ServicesTitle to Land: Fee SimpleRPR Survey Available: YesSeller Rights: NoAppointment Name: Darcy PowlikAppointment Phone: 780-446-9700Paragon Listing ID: E4456916 (id:27476)

Property Highlights

MLS® Number
43688754
Type
Vacant Land
Land Size
74923.2 sqft|1 - 3 acres

Building

Fireplace Present
No
Basement Type
Basement Features
Building Heating Type
Heating Fuel
Building Cooling Type

Location

Learn more about this property
Listing provided by:
RE/MAX Real Estate
MLS® number:
43688754
Agent:
Darcy Powlik
*Indicates required field
Name is required
Email is required
Please enter a valid phone number (e.g., 416-111-1111).