4403 69 Street, Camrose, Alberta T4V 2P7

Listed for:
$158,900
0 beds
0 baths
Listed 167 days ago
4403 69 Street, Camrose, Alberta T4V 2P7

View all 9 photos

About

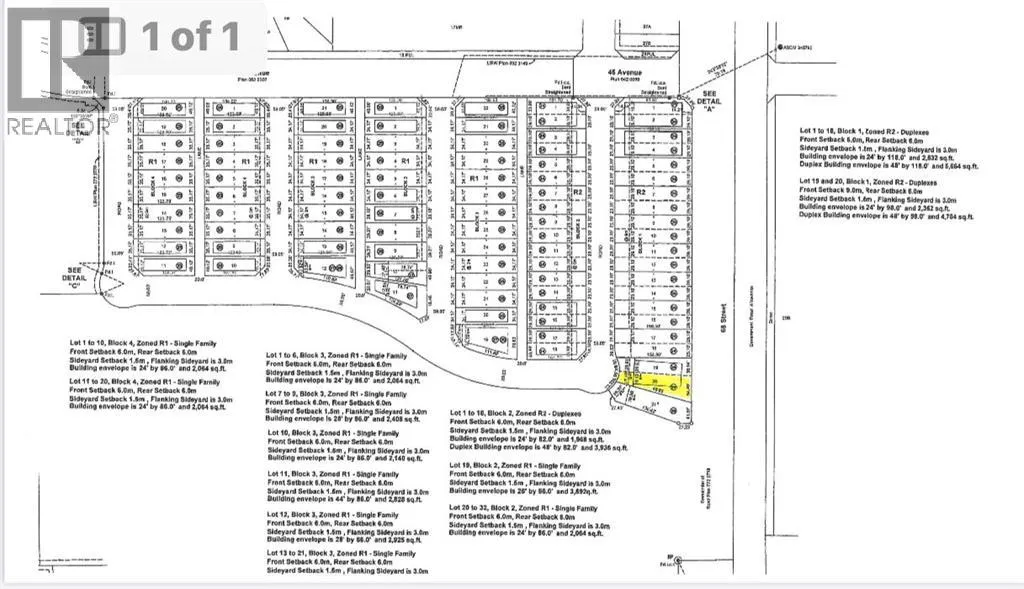
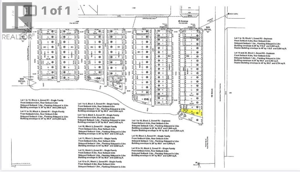
Welcome to West Park's newest development....Lakeside!!! This development is situated close to shopping and dining. You can access the walking path along the lake and build your own home! Don't miss out on an amazing opportunity in 2026. (id:27476)

Property Highlights

MLS® Number
A2016623
Type
Vacant Land
Community Name
West Park
Ownership Type
Freehold
Land Size
4740 sqft|4,051 - 7,250 sqft

Building

Amenities
Shopping
Fireplace Present
No
Basement Type
Basement Features
Building Heating Type
Heating Fuel
Building Cooling Type

Location

Learn more about this property
Listing provided by:
RE/MAX Real Estate (Edmonton) Ltd.
MLS® number:
A2016623
Agent:
Tracy Brandingen
*Indicates required field
Name is required
Email is required
Please enter a valid phone number (e.g., 416-111-1111).

Street Spotlight - For sale