Hwy 18 52 St, Clyde, Alberta T0G 0P0

Listed for:
$125,000
0 beds
0 baths
Listed 59 days ago
No Building for rent: Hwy 18 52 St, Clyde, Alberta T0G 0P0

View all 19 photos

Learn more about this property
Listing provided by:
Exp Realty
MLS® number:
E4374751
Agent:
Trent B. Muller
*Indicates required field
Name is required
Email is required
Please enter a valid phone number (e.g., 416-111-1111).

About

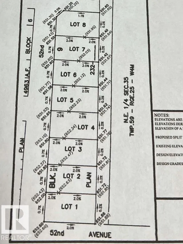
Are you a developer? 1.74 Acres in the Village of Clyde. Property is in the process of being subdivided into residential lots. The north end of the property will be subdivided into a couple of commercial lots. The Driveway for Eleanor hall School, on the west side of the school, crosses this property. Long narrow strip of property, 60' deep and 1200' long. A great investment. Buy this property, register the plan and sell off as several lots. (id:27476)

Property Highlights

MLS® Number
E4374751
Type
Vacant Land
Ownership Type
Freehold
Land Size
7049 m2

Building

Building Type
No Building
Amenities
Schools
Fireplace Present
No
Basement Type
Basement Features
Building Heating Type
Heating Fuel
Building Cooling Type

Location