239 Griffin Road E, Cochrane, Alberta T4C 2B9

Listed for:
$34
0 beds
0 baths
Listed 222 days ago
Retail for rent: 239 Griffin Road E, Cochrane, Alberta T4C 2B9

View all 6 photos

About

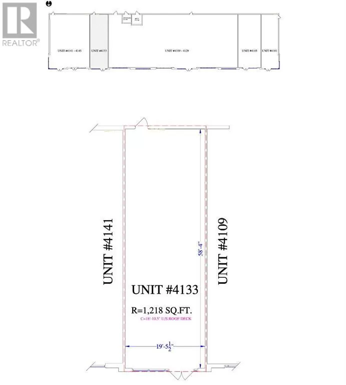
Looking to open or expand your business in a new strip mall in Cochrane! Your wait is over. Only 3 units left: 1218 sqft, 1501 sqft, and 2033 sqft. Check the I-B Zoning information for allowed usage. (id:27476)

Property Highlights

MLS® Number
A2238101
Type
Retail
Community Name
Industrial
Land Size
Unknown

Building

Building Type
Retail
Square Footage
1501 sqft
Exterior Finish
Concrete
Fireplace Present
No
Basement Type
Basement Features
Building Heating Type
Heating Fuel
Building Cooling Type

Location

Learn more about this property
Listing provided by:
Royal LePage Benchmark
MLS® number:
A2238101
Agent:
Jag Thind
*Indicates required field
Name is required
Email is required
Please enter a valid phone number (e.g., 416-111-1111).