801 Mccool Street, Crossfield, Alberta T0M 0S0

Listed for:
$800,000
0 beds
0 baths
Listed 23 days ago
801 Mccool Street, Crossfield, Alberta T0M 0S0

View all 6 photos

Learn more about this property
Listing provided by:
REMAX ACA Realty
MLS® number:
A2269048
Agent:
Don Sackett
*Indicates required field
Name is required
Email is required
Please enter a valid phone number (e.g., 416-111-1111).

About

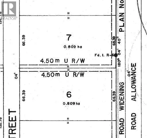
An excellent opportunity to own a fully serviced 2-acre industrial lot in the growing community of Crossfield, AB. Measuring 218 feet x 400 feet, this I-2 zoned property is ideal for a variety of industrial uses. Conveniently located just 10 minutes north of the City of Airdrie and 25 minutes from the City of Calgary, this site offers quick access to major transportation routes, including Stoney Trail, Highway 1, and QEII Highway. Whether you're expanding your business or looking for an investment, this strategically positioned site is ready for development. The adjoining 2-acre site is also available for purchase. (id:27476)

Property Highlights

MLS® Number
A2269048
Type
Vacant Land
Ownership Type
Freehold
Land Size
2 ac|2 - 4.99 acres

Building

Fireplace Present
No
Basement Type
Basement Features
Building Heating Type
Heating Fuel
Building Cooling Type

Location