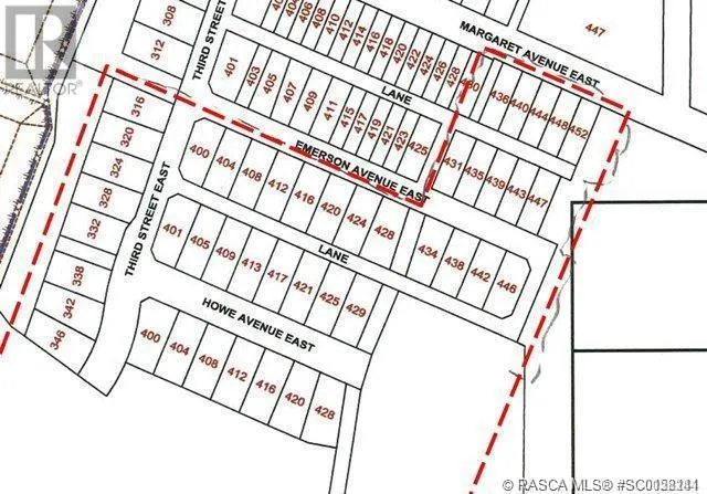
400 Howe Avenue E, Duchess, Alberta T0J 0Z0

Listed for:
$64,500
0 beds
0 baths
Listed 123 days ago
400 Howe Avenue E, Duchess, Alberta T0J 0Z0

View all 26 photos

About

BUILD YOUR FUTURE! These lots are waiting for you to build your dream home. Fully serviced lots on various streets in the family friendly Village of Duchess. Take advantage of these affordably priced lots and enjoy the relaxed lifestyle of Duchess. (id:27476)

Property Highlights

MLS® Number
SC0158141
Type
Vacant Land
Ownership Type
Freehold
Land Size
7492 sqft|7,251 - 10,889 sqft

Building

Fireplace Present
No
Basement Type
None
Basement Features
Building Heating Type
Heating Fuel
Building Cooling Type

Utilities

Water
Municipal water
Utility Sewer
Municipal sewage system

Room Layout

Location

Learn more about this property
Listing provided by:
CIR REALTY
MLS® number:
SC0158141
Agent:
Jesse Vanslyke
*Indicates required field
Name is required
Email is required
Please enter a valid phone number (e.g., 416-111-1111).