4320 Savaryn Drive, Edmonton, Alberta T6X 1Z9

Listed for:
$16
0 beds
0 baths
Listed 9 days ago
4320  Savaryn Drive, Edmonton, Alberta T6X 1Z9

View all 7 photos

Learn more about this property
Listing provided by:
NAI Commercial Real Estate Inc
MLS® number:
43691000
Agent:
Ryan C. Brown
*Indicates required field
Name is required
Email is required
Please enter a valid phone number (e.g., 416-111-1111).

About

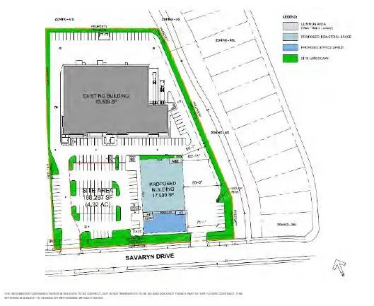
The Certified Business Centre offers 43,809 sq.ft.± of space on a 4.32-acre site, including 2.0 acres± of surplus developable land. The property consists of three units, two of which are leased, with 19,300 sq.ft.± available for owner/user occupancy. Built in 2017, the building includes modern features such as a rooftop patio, upgraded roof, ESFR sprinkler system, and LED lighting. The site has three grade loading doors and one dock door with a leveller. Zoned EIB, the property is located in the Summerside node with access to QEII, 91 Street, and Nisku Spine Road. 19,300 sq.ft. is available for lease.Other Property Types: Industrial,OfficeSubject Space Width: 160Ownership Interest: PrivateTitle to Land: Fee SimpleRPR Survey Available: NoSeller Rights: YesAppointment Name: Ryan BrownAppointment Phone: 780-964-8624Lease Operating Costs Included: includes common area maintenance, property taxes, building insurance and management feeParagon Listing ID: E4432091 (id:27476)

Property Highlights

MLS® Number
43691000
Type
Industrial
Land Size
0|Unknown

Building

Square Footage
19300 sqft
Fireplace Present
No
Basement Type
Basement Features
Building Heating Type
Heating Fuel
Building Cooling Type

Location