3726 47 St, Gibbons, Alberta T0A 1N0

Listed for:
$176,000
0 beds
0 baths
Listed 25 days ago
No Building for rent: 3726 47 St, Gibbons, Alberta T0A 1N0

View all 13 photos

About

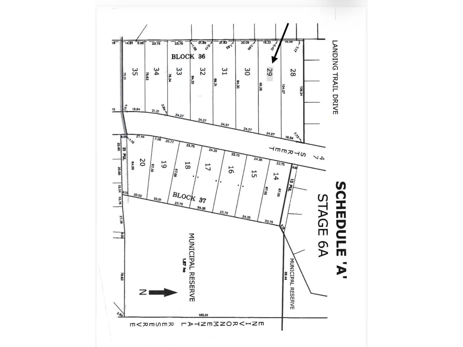
Are you thinking of building....Fantastic .6 acre lot with amazing potential to build your custom dream home! Located in the well established community of Landing Trail Estates in the Town of Gibbons. Municipal Water & Sewer. Building pocket frontage is 24.27m, 99.28m long & back measures 18.33m, east facing, privacy in the back and partially fenced. Lots of room to build a 2nd large garage with RV parking. Prime location close to school, parks, shopping. You can start building your dream home this spring!! (id:27476)

Property Highlights

MLS® Number
E4476460
Type
Vacant Land
Ownership Type
Freehold
Land Size
2416.97 m2

Building

Building Type
No Building
Amenities
Golf Course, Playground, Schools, Shopping
Fireplace Present
No
Basement Type
Basement Features
Building Heating Type
Heating Fuel
Building Cooling Type

Location

Learn more about this property
Listing provided by:
RE/MAX Edge Realty
MLS® number:
E4476460
Agent:
Lisa A. Weishar
*Indicates required field
Name is required
Email is required
Please enter a valid phone number (e.g., 416-111-1111).