11126 Hoppe Avenue, Grande Cache, Alberta T0E 0Y0

Listed for:
$250,000
0 beds
0 baths
Listed 182 days ago
11126 Hoppe Avenue, Grande Cache, Alberta T0E 0Y0

View all 11 photos

About

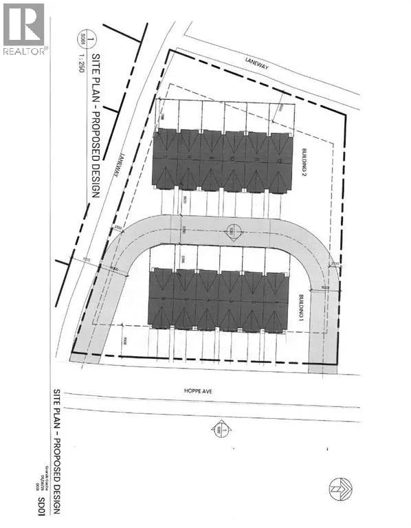
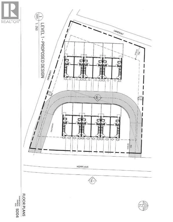
Looking to build multifamily Units? look no further! Serviced multifamily Lot for sale in the picturesque Town of Grande Cache with a potential to put up to 34 rental units. Lot is a walking distance from schools and Town Center, Grande Cache has a growing population therefore a growing need for accommodation. Drive by and check this land out. There is a short video of A potential building design that can be built on the land. (id:27476)

Property Highlights

MLS® Number
A2261618
Type
Vacant Land
Ownership Type
Freehold
Land Size
29621 sqft|21,780 - 32,669 sqft (1/2 - 3/4 ac)

Building

Fireplace Present
No
Basement Type
Basement Features
Building Heating Type
Heating Fuel
Building Cooling Type

Location

Learn more about this property
Listing provided by:
Grassroots Realty Group Ltd.
MLS® number:
A2261618
Agent:
David Head
*Indicates required field
Name is required
Email is required
Please enter a valid phone number (e.g., 416-111-1111).