1900 9 Avenue Se, High River, Alberta T1V 2A6

Listed for:
$775,000
0 beds
0 baths
Listed 34 days ago
1900 9 Avenue Se, High River, Alberta T1V 2A6

View all 8 photos

Learn more about this property
Listing provided by:
RE/MAX Southern Realty
MLS® number:
A2259729
Agent:
Jim A. Ross
*Indicates required field
Name is required
Email is required
Please enter a valid phone number (e.g., 416-111-1111).

About

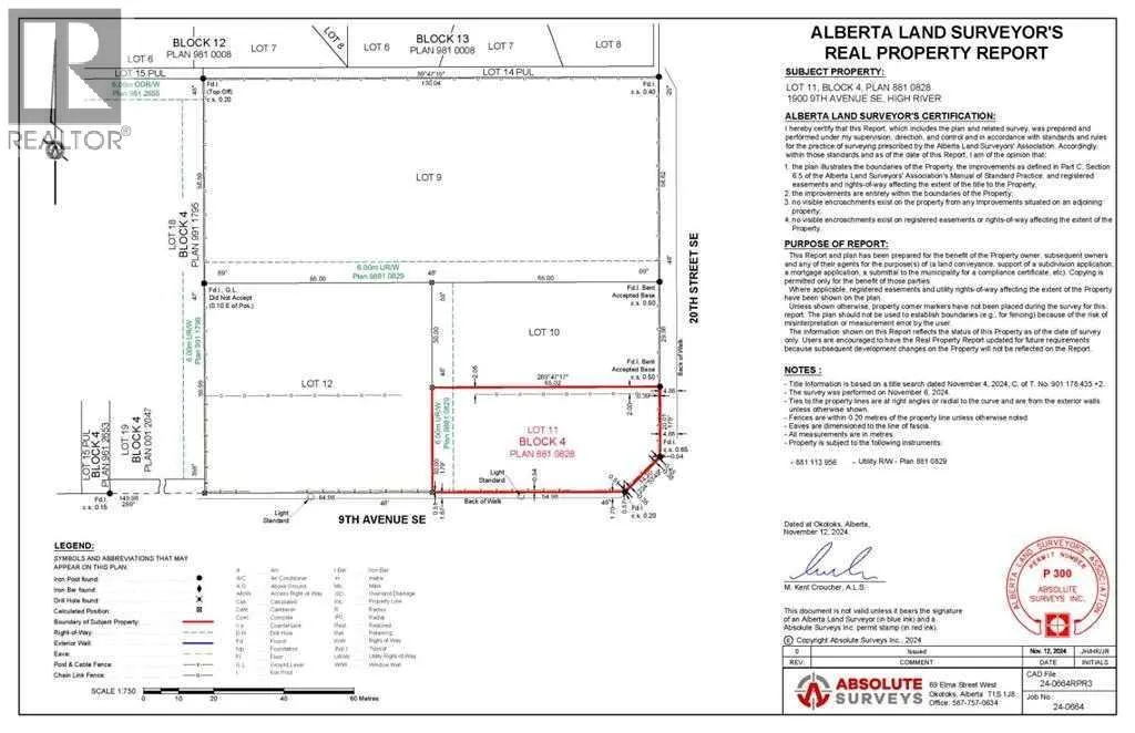
3.79 acres of light industrial land in a convenient location close only ½ mile from Highway 2 in High River. This corner site has nearly 800’ of frontage and is on four separate titles. The titles are 1.88 acres; .48 acres; .47 acres and .96 acres. All sites have street frontage. Services are available from the street. The property is zoned SED (Service Employment District). It is suitable for office space, large retail and light industrial. (id:27476)

Property Highlights

MLS® Number
A2259729
Type
Vacant Land
Community Name
Industrial Park High River
Ownership Type
Freehold
Land Size
3.79 ac|2 - 4.99 acres

Building

Fireplace Present
No
Basement Type
Basement Features
Building Heating Type
Heating Fuel
Building Cooling Type

Utilities

Water
Municipal water
Utility Sewer
Municipal sewage system

Location