5368 Len Thompson Drive, Lacombe, Alberta T4L 2H3

Listed for:
$225,000
0 beds
0 baths
Listed 529 days ago
5368 Len Thompson Drive, Lacombe, Alberta T4L 2H3

View all 6 photos

Learn more about this property
Listing provided by:
Royal LePage Lifestyles Realty
MLS® number:
CA0131976
Agent:
Michael Gouchie
*Indicates required field
Name is required
Email is required
Please enter a valid phone number (e.g., 416-111-1111).

About

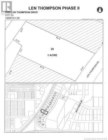
Len Thompson Industrial Park. New 15 acre industrial park strategically located in the heart of Lacombe’s industrial area and will soon be home to Lacombe's new Public Works shop and yard site. Features highway exposure, access and visibility. Conveniently located next to major regional highways. Lots are zoned light industrial which provides for a large variety of permitted and discretionary uses. Subdivision is paved, shovel ready with street lights and services to lot. Currently lots are 1 to 1.5 acres in size but if you need to amalgamate 1 or more lots to make your business plan work that is easy to do. Come take a look at the City of Lacombe and its newest industrial subdivision where your business needs will be met and thrive for years to come. Note the City is also willing to look at selling a separate 7 to 10 acre parcel. (id:27476)

Property Highlights

MLS® Number
CA0131976
Type
Industrial
Community Name
Wolf Creek Industrial Park
Ownership Type
Freehold
Land Size
1 ac|1 - 1.99 acres

Building

Fireplace Present
No
Basement Type
Basement Features
Building Heating Type
Heating Fuel
Building Cooling Type

Location

Street Spotlight - For sale