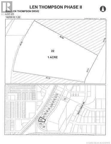
5360 Len Thompson Drive, Lacombe, Alberta T4L 2H3

Listed for:
$225,000
0 beds
0 baths
Listed 78 days ago
5360 Len Thompson Drive, Lacombe, Alberta T4L 2H3

View all 4 photos

Learn more about this property
Listing provided by:
Royal LePage Lifestyles Realty
MLS® number:
A2195901
Agent:
Boyd Williams
*Indicates required field
Name is required
Email is required
Please enter a valid phone number (e.g., 416-111-1111).

About

15 Acre industrial park in the heart of Lacombe. Easy access to Highway 2, 2A and 12. Great location across from the new Public Works shop and yard site. On pavement. Great visibility from highway 2A. Zoned light industrial and there is potential for commercial / retail uses as well. Shovel ready with street lights and services to lot. Lots are 1 to 1.5 acres but could easily be amalgamated for larger parcel needs. (id:27476)

Property Highlights

MLS® Number
A2195901
Type
Vacant Land
Community Name
Wolf Creek Industrial Park
Ownership Type
Freehold
Land Size
1 ac|1 - 1.99 acres

Building

Fireplace Present
No
Basement Type
Basement Features
Building Heating Type
Heating Fuel
Building Cooling Type

Location

Street Spotlight - For sale