204, 4979 Southlands Drive Se, Medicine Hat, Alberta T1B 0E9

Listed for:
$418,605
0 beds
0 baths
Listed 14 days ago
Commercial Mix for rent: 204, 4979 Southlands Drive Se, Medicine Hat, Alberta T1B 0E9

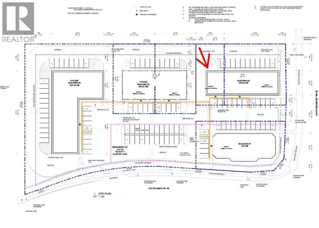
View all 8 photos

About

Last brand new commercial bay in Southlands Common - a 2.59 acre site of professional commercial development with high traffic counts situated in the South of the City of Medicine Hat at the corner of Southlands Drive and South Boundary Rd. This end cap unit is comprised of a total of 1419 square feet and offers parking both in front and rear of the building. This is a great opportunity for those looking to own their own professional space in a busy area of the city. (id:27476)

Property Highlights

MLS® Number
A2298899
Type
Other
Community Name
Southland
Ownership Type
Bare Land Condo/Strata
Land Size
Unknown

Building

Building Type
Commercial Mix
Square Footage
1419 sqft
Fireplace Present
No
Basement Type
Basement Features
Building Heating Type
Heating Fuel
Building Cooling Type

Location

Learn more about this property
Listing provided by:
RIVER STREET REAL ESTATE
MLS® number:
A2298899
Agent:
Greg Keen
*Indicates required field
Name is required
Email is required
Please enter a valid phone number (e.g., 416-111-1111).