104, 5407 50 Street, Ponoka, Alberta T4J 1H9

Listed for:
$17
0 beds
0 baths
Listed 78 days ago
104, 5407 50 Street, Ponoka, Alberta T4J 1H9

View all 24 photos

Learn more about this property
Listing provided by:
Century 21 Gillany Realty
MLS® number:
A2219833
Agent:
Rizwan Syed
*Indicates required field
Name is required
Email is required
Please enter a valid phone number (e.g., 416-111-1111).

About

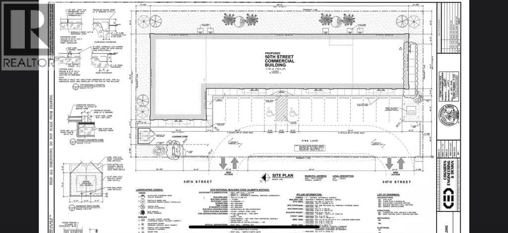
Looking to start your new business venture, or are you wanting to expand? have a look at this under construction lease space to be completed in 2025 in the ever expanding town of Ponoka. This multi unit space is full of possibilities, located in a high traffic location. The possibilities are limitless for this future commercial space. Monthly rental amount is $2,182 plus the NNN cost estimated to be $3 per square feet. (id:27476)

Property Highlights

MLS® Number
A2219833
Type
Business
Community Name
Central Ponoka
Land Size
0.46 ac|10,890 - 21,799 sqft (1/4 - 1/2 ac)

Building

Square Footage
1540 sqft
Fireplace Present
No
Basement Type
Basement Features
Building Heating Type
Forced air
Heating Fuel
Natural gas
Building Cooling Type
Fully air conditioned

Location