1 Country Acres, Rural Ponoka County, Alberta T0C 2J0

Listed for:
$209,000
0 beds
0 baths
Listed 199 days ago
1 Country Acres, Rural Ponoka County, Alberta T0C 2J0

View all 9 photos

About

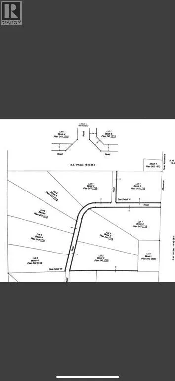
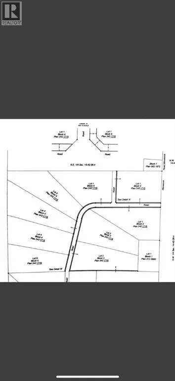
Welcome to Ponoka County's newest acreage subdivision featuring 8.6-10 acre lots zoned Country Residential. This is a premier location to design and build your dream home within a few minutes of the Town of Ponoka! Country Acres is a 9 parcel subdivision with some of the lots being treed and lots that will accommodate walk out basements. A beautiful setting with views of the countryside landscapes situated on high ground, lots of sun exposure and you can enjoy the gorgeous evening sunsets to the west! Close proximity to the Wolf Creek Golf Resort, QE2 and Highway 2A which is great for access to the highways. It is pavement right up to the Range Road 26-2 entering into Country Acres. These lots are ready for construction - start making your plans and get ready to enjoy country living within a few minutes to Town! GST is applicable on purchase price. (id:27476)

Property Highlights

MLS® Number
A2163847
Type
Vacant Land
Ownership Type
Freehold
Land Size
8.62 ac|5 - 9.99 acres

Building

Fireplace Present
No
Basement Type
Basement Features
Building Heating Type
Heating Fuel
Building Cooling Type

Utilities

Water
None
Utility Sewer
No sewage system

Location

Learn more about this property
Listing provided by:
RE/MAX real estate central alberta
MLS® number:
A2163847
Agent:
Lori Hellofs
*Indicates required field
Name is required
Email is required
Please enter a valid phone number (e.g., 416-111-1111).

Street Spotlight - For sale