0 2422103 Block 1 Lot 1, Wandering River, Alberta T0A 3M0

Listed for:
$99,000
0 beds
0 baths
Listed 31 days ago
Recreational for rent: 0 2422103 Block 1 Lot 1, Wandering River, Alberta T0A 3M0

View all 6 photos

Learn more about this property
Listing provided by:
People 1st Realty
MLS® number:
A2178568
Agent:
Debbie Campbell
*Indicates required field
Name is required
Email is required
Please enter a valid phone number (e.g., 416-111-1111).

About

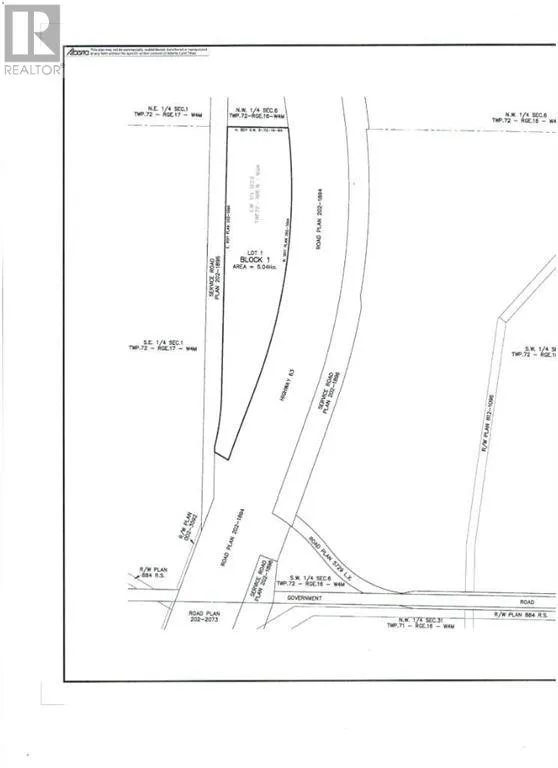
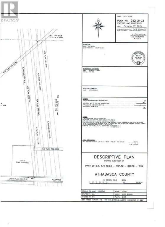
You have to check out this 12.45 acre piece of property!! Just minutes from Wandering River, AB, this property has treed areas for privacy, wildlife, ATV'ing and walking trails, and also has approx 1.5 acres of cleared space that could be used as a potential yard/building site, camping etc. Power and gas are available at the property line. Property is close enough to Hwy 63 that there is minimal gravel road, but far enough that the highway noise is not a bother. 3 kms away from a beautiful 18 hole golf course, close to crown land with quadding trails and ample wildlife watching opportunities. A fresh produce market is minutes away, with all the homegrown produce you can imagine. The hamlet of Wandering River is a couple minutes away, bosting several amenities, including, but not limited to: gas stations, food store, liquor store, A&W, Burger King, Senior's Center, Youth Center, School, Playground, trailer dumping station, water station, Fire & Rescue Services, ball diamonds, curling rink, and a community library. Come and visit this property to see how it could be an ideal recreational piece of land (on your own or to share with others), or as a possible location to set up a beautiful country home!! (id:27476)

Property Highlights

MLS® Number
A2178568
Type
Vacant Land
Community Name
Wandering River
Ownership Type
Freehold
Land Size
12.45 ac|10 - 49 acres

Building

Building Type
Recreational
Fireplace Present
No
Basement Type
Basement Features
Building Heating Type
Heating Fuel
Building Cooling Type

Location

Community Spotlight: Homes For sale in Your Neighborhood