4524 50 Av, Warburg, Alberta T0C 2T0

Listed for:
$40,000
0 beds
0 baths
Listed 352 days ago
No Building for rent: 4524 50 Av, Warburg, Alberta T0C 2T0

View all 4 photos

About

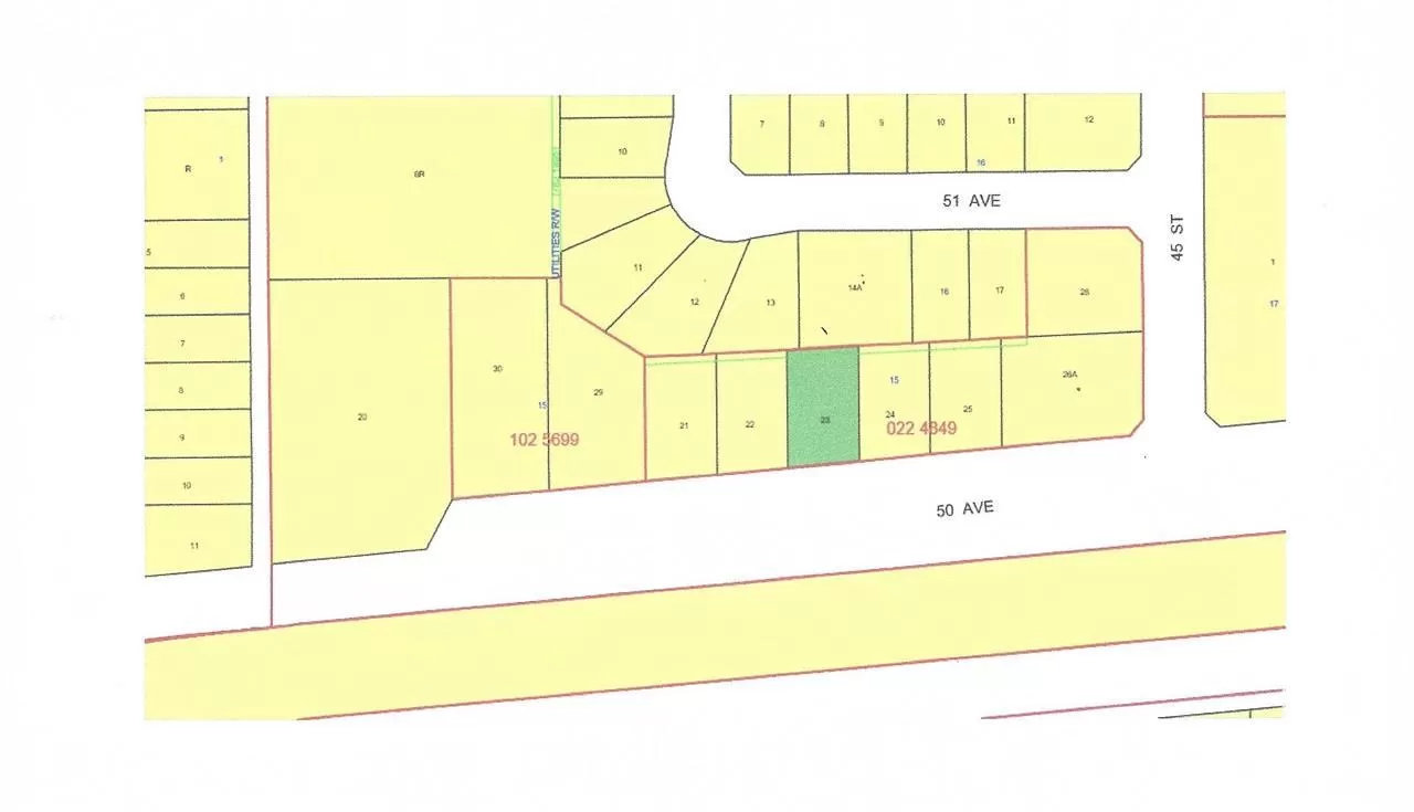
Lot 23 is a 75'x124' large residential vacant lot in a newer subdivision. New paved road and sidewalks in place and municipal services at property line. The Village of Warburg is centrally located about thirty minutes from Leduc, Drayton Valley, Stony Plain, Nisku and the Edmonton International Airport and 15 minutes from Pigeon Lake and Genesee Power Plant. (id:27476)

Property Highlights

MLS® Number
E4437273
Type
Vacant Land
Ownership Type
Freehold
Land Size
864 m2

Building

Building Type
No Building
Amenities
Playground, Schools
Fireplace Present
No
Basement Type
Basement Features
Building Heating Type
Heating Fuel
Building Cooling Type

Location

Learn more about this property
Listing provided by:
RE/MAX Real Estate
MLS® number:
E4437273
Agent:
Dawn M. Heisler
*Indicates required field
Name is required
Email is required
Please enter a valid phone number (e.g., 416-111-1111).