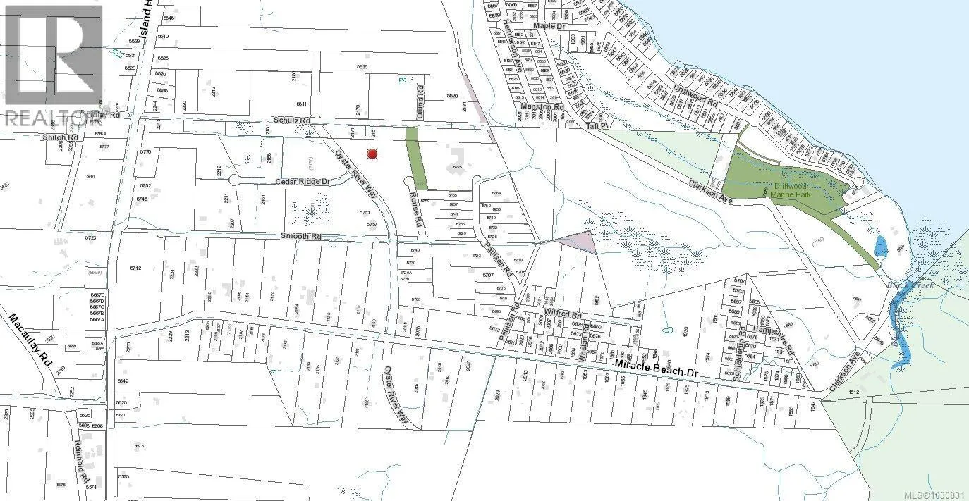
Lot 21 Oyster River Way, Black Creek, British Columbia V9J 1K3

Listed for:
$2,000,000
0 beds
0 baths
Listed 9 days ago
Lot 21 Oyster River Way, Black Creek, British Columbia V9J 1K3

View all 14 photos

About

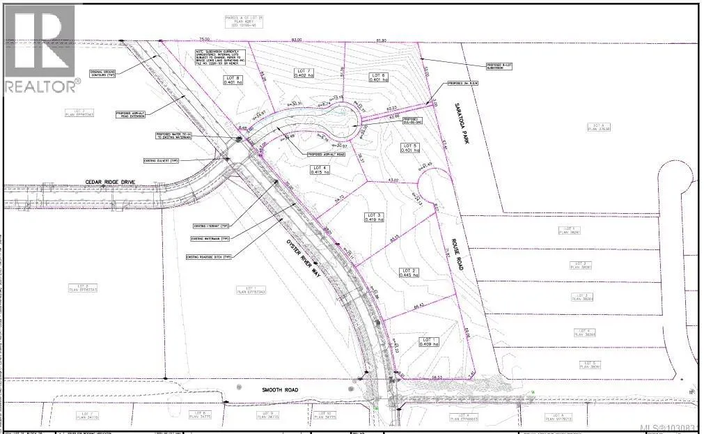
Rare development Opportunity: 8 Serviced lots near Miracle Beach. Secure a shovel ready project on Oyster River Way. This package includes 8 distinct lots ( just under 1 acre each ) perfectly positioned between Courtenay and Campbell River. With both Development and Construction permits already issued, the ground work is laid for immediate progress. Located just 5 minutes from Pacific Playgrounds and Salmon Point Marina's, these lots offer the ultimate Vancouver Island lifestyle. Appraisal sits around $3.6M upon completion with an estimated $1M in remaining costs. Contact Seller directly, phone # and email found in Licensee notes. (id:27476)

Property Highlights

MLS® Number
1030831
Type
Vacant Land
Ownership Type
Freehold
Land Size
13 ac

Building

Fireplace Present
No
Basement Type
Basement Features
Building Heating Type
Heating Fuel
Building Cooling Type

Location

Learn more about this property
Listing provided by:
ComFree
MLS® number:
1030831
Agent:
Erin Holowach
*Indicates required field
Name is required
Email is required
Please enter a valid phone number (e.g., 416-111-1111).