17266 Prespatou Road, Fort St. John, British Columbia V0C 1Y0

Listed for:
$875,000
4 beds
2 baths
Listed 39 days ago
House for rent: 17266 Prespatou Road, Fort St. John, British Columbia V0C 1Y0

View all 35 photos

Learn more about this property
Listing provided by:
Century 21 Energy Realty
MLS® number:
R3032797
Agent:
Brenna Burns
*Indicates required field
Name is required
Email is required
Please enter a valid phone number (e.g., 416-111-1111).

About

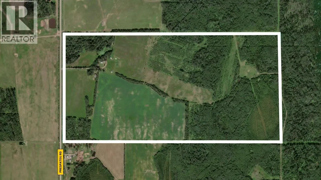
* PREC - Personal Real Estate Corporation. If you've been dreaming of wide-open spaces and a peaceful lifestyle this ½ section in Montney is the one! This property features a mix of open farmland used for hay and pasture, along with sections of merchantable timber, only 30 minutes from FSJ. You'll love the charming 4-bed, 2-bath rancher with basement, boasting a bright and open-concept interior. The highlight is the huge wraparound sundeck, where you can enjoy vast country views from every angle while relaxing. For the handymen, there's a 30'x40' insulated workshop with a 10' overhead door, and a dreamy greenhouse for those with a green thumb. Just minutes from Upper Pine School and located on the school bus route - 319 acres of paradise! (id:27476)

Property Highlights

MLS® Number
R3032797
Type
Single Family
Ownership Type
Freehold
Land Size
319 ac

Building

Building Type
House
Storeys
2.00
Square Footage
1935 sqft
Bathrooms Total
2
Bedrooms Total
4
Exterior Finish
Vinyl siding
Fireplace Present
Yes
Basement Type
N/A (Finished)
Basement Features
Building Heating Type
Forced air
Heating Fuel
Electric, Propane
Building Cooling Type

Location