301 Wellington Crescent, Grand Forks, British Columbia V0H 1H0

Listed for:
$898,000
0 beds
0 baths
Listed 139 days ago
Other for rent: 301 Wellington Crescent, Grand Forks, British Columbia V0H 1H0

View all 11 photos

Learn more about this property
Listing provided by:
Royal LePage Little Oak Realty
MLS® number:
10328496
Agent:
Brian Thate
*Indicates required field
Name is required
Email is required
Please enter a valid phone number (e.g., 416-111-1111).

About

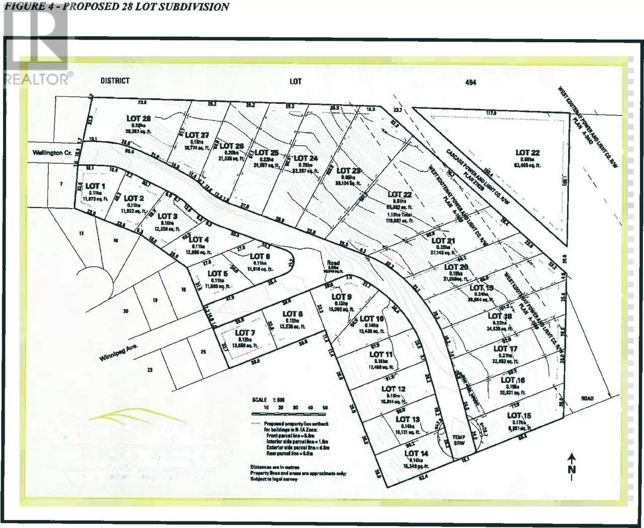
Discover an exceptional development opportunity in the sought-after Valley Heights area of Grand Forks, BC! This 16.7-acre property offers some of the finest views in town, stretching across the valley and surrounding mountains. Zoned R-1A and with the potential for a 28-lot, or more subdivision, this parcel is ideal for residential development. Dual access from both Wellington Crescent and Winnipeg Avenue provides convenience and flexibility for future planning. Located just minutes from downtown Grand Forks, this property combines tranquility with accessibility. Whether you envision a new subdivision or a personal estate, this land holds endless possibilities. Don't miss out on this rare chance to invest in Grand Forks' growing market! Don’t forget to watch the virtual tour! (id:27476)

Property Highlights

MLS® Number
10328496
Type
Vacant Land
Ownership Type
Freehold
Land Size
16.7 ac|10 - 50 acres

Building

Building Type
Other
Fireplace Present
No
Basement Type
Basement Features
Building Heating Type
Heating Fuel
Building Cooling Type

Utilities

Water
None

Location