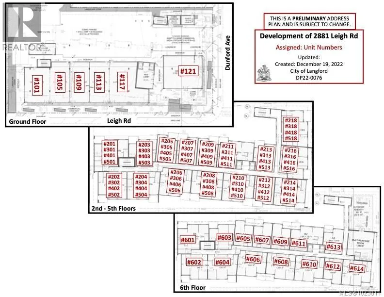
109 2881 Leigh Rd, Langford, British Columbia V9S 4G5

Listed for:
$725,000
0 beds
0 baths
Listed 91 days ago
Offices for rent: 109 2881 Leigh Rd, Langford, British Columbia V9S 4G5

View all 7 photos

About

LAKESIDE WEST is the newest development from Draycor Construction boasting 78 residential units above 6 ground floor commercial strata units. Estimated completion of the project is September of 2026 with building currently well under way. The commercial strata will be separate from the residential allowing for more owner/occupier autonomy. Ample above ground parking along with fantastic transit access will make this a vibrant commercial hub in the area. Excellent opportunity for an owner occupier or investor to purchase a commercial retail or professional office strata unit. Unit 109 is a west facing unit, which can also be combined with neighbouring units for a larger floor plate. Hard hat tours beginning early March 2026. (id:27476)

Property Highlights

MLS® Number
1023811
Type
Office
Ownership Type
Strata
Parking Space Total
28

Building

Building Type
Offices
Fireplace Present
No
Basement Type
Basement Features
Building Heating Type
Heating Fuel
Building Cooling Type

Location

Learn more about this property
Listing provided by:
NAI Commercial (Victoria) Inc.
MLS® number:
1023811
Agent:
Erin Glazier
*Indicates required field
Name is required
Email is required
Please enter a valid phone number (e.g., 416-111-1111).