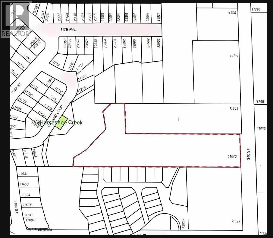
11673 240 Street, Maple Ridge, British Columbia V4R 1M6

Listed for:
$7,380,000
0 beds
0 baths
Listed 85 days ago
11673 240 Street, Maple Ridge, British Columbia V4R 1M6

View all 5 photos

About

Development 3.29 acre property located in "Cottonwood" development area. Designated medium density (40 units per hectare) in Official Community Plan for potential townhouse or row homes. Close to town. Do not enter property without appointment. (id:27476)

Property Highlights

MLS® Number
C8074861
Type
Vacant Land
Land Size
143138 sqft

Building

Fireplace Present
No
Basement Type
Basement Features
Building Heating Type
Heating Fuel
Building Cooling Type

Location

Learn more about this property
Listing provided by:
RE/MAX LIFESTYLES REALTY
MLS® number:
C8074861
Agent:
Ron Antalek
*Indicates required field
Name is required
Email is required
Please enter a valid phone number (e.g., 416-111-1111).

Street Spotlight - For sale