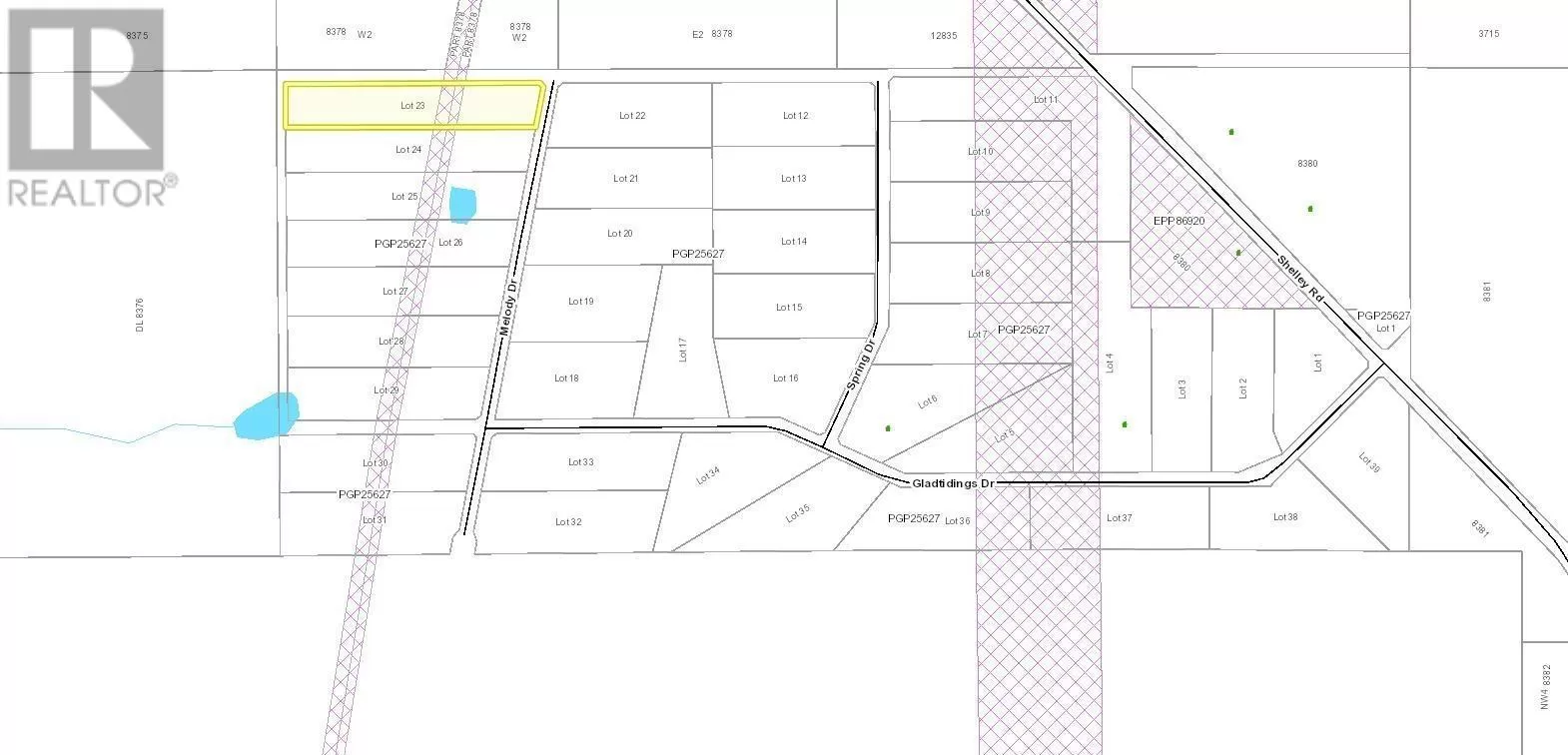
Lot 23 Melody Drive, Prince George, British Columbia V2K 5G1

Listed for:
$65,900
0 beds
0 baths
Listed 137 days ago
Lot 23 Melody Drive, Prince George, British Columbia V2K 5G1

View all 4 photos

Learn more about this property
Listing provided by:
MLS® number:
R2954692
Agent:
Carrie Nicholson
*Indicates required field
Name is required
Email is required
Please enter a valid phone number (e.g., 416-111-1111).

About

* PREC - Personal Real Estate Corporation. Just over 5 acres ready for development. Shared wells with hydro and gas nearby. Only 15 minutes from downtown Prince George and has many key recreation locations nearby- golfing in the summer, skiing in the winter. Peaceful rural setting. Mobile Homes welcome in this subdivision. Buyer to connect to the well at their own expense and satisfy themselves. Other lots also available in this subdivision. Lot measurements are approximate, Buyer to verify if deemed important. (id:27476)

Property Highlights

MLS® Number
R2954692
Type
Vacant Land
Ownership Type
Freehold
Land Size
5.47 ac

Building

Fireplace Present
No
Basement Type
Basement Features
Building Heating Type
Heating Fuel
Building Cooling Type

Utilities

Water
Drilled Well

Location