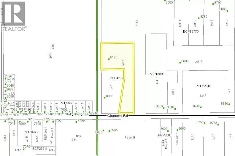
8120 Giscome Road, Prince George, British Columbia V2N 6V2

Listed for:
$79,900
0 beds
0 baths
Listed 92 days ago
8120 Giscome Road, Prince George, British Columbia V2N 6V2

View all 14 photos

Learn more about this property
Listing provided by:
MLS® number:
R3037570
Agent:
Carrie Nicholson
*Indicates required field
Name is required
Email is required
Please enter a valid phone number (e.g., 416-111-1111).

About

* PREC - Personal Real Estate Corporation. Discover 7.61 acres of opportunity! Perfectly positioned just outside city limits, this beautiful parcel offers privacy, convenience, and endless potential. With hydro, city water, natural gas, and cable all available, you’re just 10 minutes from downtown Prince George while enjoying the tranquility of rural living. Zoned RU2, the property allows for a single-family home or mobile, hobby farm, riding stables, kennels, or other rural pursuits. Surrounded by nature in a peaceful, park-like setting, it’s ideal for anyone seeking space, serenity, and adventure — with golfing, swimming, snowmobiling, and horseback riding nearby. Build your dream life here! (id:27476)

Property Highlights

MLS® Number
R3037570
Type
Vacant Land
Ownership Type
Freehold
Land Size
7.61 ac

Building

Fireplace Present
No
Basement Type
Basement Features
Building Heating Type
Heating Fuel
Building Cooling Type

Location

Street Spotlight - For sale