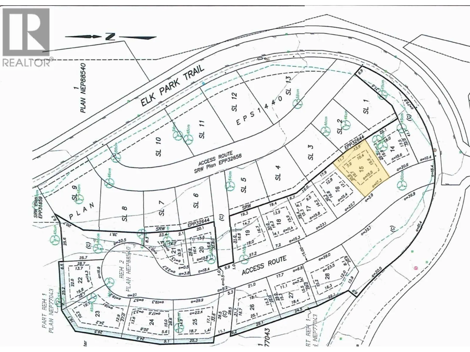
7074 White Tail Lane Lot# 15, Radium Hot Springs, British Columbia V0A 1M0

Listed for:
$124,900
0 beds
0 baths
Listed 88 days ago
Other for rent: 7074 White Tail Lane Lot# 15, Radium Hot Springs, British Columbia V0A 1M0

View all 20 photos

About

Welcome to Elk Park Ranch! The community of Elk Park includes several enclaves of spacious single-family home sites. This home site is enveloped in mountain vistas and fragrant alpine forests all well being generously sized to ensure there is plenty of elbow room left after you build your custom Columbia Valley home. The home site is fully serviced on Village of Radium Hot Springs water, sewer, cable, telephone, internet, and underground electrical. It allows the owner to select their own builder and design a custom home that works within the architectural controls. Elk Park Ranch is the perfect place to set down roots and create memories to last a lifetime, you will experience an easy-going attitude, numerous outdoor adventures, and the awe of mountain living. (id:27476)

Property Highlights

MLS® Number
10370793
Type
Vacant Land
Community Name
Elk Park Ranch
Maintenance Fee
1300.00
Ownership Type
Bare Land Condo/Strata
Land Size
0.17 ac|under 1 acre

Building

Building Type
Other
Amenities
Golf Nearby, Recreation
Fireplace Present
No
Basement Type
Basement Features
Building Heating Type
Heating Fuel
Building Cooling Type

Utilities

Water
Municipal water
Utility Sewer
Municipal sewage system

Location

Learn more about this property
Listing provided by:
MaxWell Rockies Realty
MLS® number:
10370793
Agent:
Scott Sauermann
*Indicates required field
Name is required
Email is required
Please enter a valid phone number (e.g., 416-111-1111).

Street Spotlight - For sale