Lot 129 Granville Avenue, Richmond, British Columbia V6Y 1R6

Listed for:
$325,000
0 beds
0 baths
Listed 157 days ago
Lot 129 Granville Avenue, Richmond, British Columbia V6Y 1R6

View all 1 photos

About

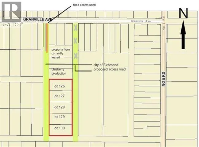
EXCELLENT HOLDING PROPERTY Ideal property for hobby farmers to plant blueberries or vegetable & fruits located between Shell Road and No 5 Road off Granville Avenue. Approximate Lot Size 126X302 (0.778 acres or 33,889.68 square feet) lot. Zoned AG-1 Agricultural. Proposed road allowance to the West and East of the property. Property access is off Granville Avenue. (NO HOUSE/BUILDING ALLOWED) (id:27476)

Property Highlights

MLS® Number
R3062126
Type
Vacant Land
Ownership Type
Freehold
Land Size
33889 sqft

Building

Fireplace Present
No
Basement Type
Basement Features
Building Heating Type
Heating Fuel
Building Cooling Type

Location

Learn more about this property
Listing provided by:
YPA Your Property Agent
MLS® number:
R3062126
Agent:
Mandeep Brar
*Indicates required field
Name is required
Email is required
Please enter a valid phone number (e.g., 416-111-1111).