Dl 1312 Sullivan Road, Roberts Creek, British Columbia V0N 1V7

Listed for:
$2,999,000
0 beds
0 baths
Listed 59 days ago
Dl 1312 Sullivan Road, Roberts Creek, British Columbia V0N 1V7

View all 26 photos

Learn more about this property
Listing provided by:
RE/MAX City Realty
MLS® number:
R2953279
Agent:
Jon Mcrae
*Indicates required field
Name is required
Email is required
Please enter a valid phone number (e.g., 416-111-1111).

About

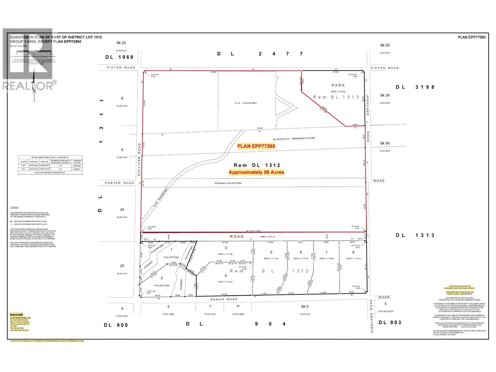
Approximately 98 ACRES. The Perfect Estate Home Location. This Property has it all, Panoramic South Facing Ocean Views, Heavily Treed with some cleared areas, Park-like walking trails, paved road & hydro, close to Schools & Shopping. 4 lovely Creeks. Ideal ground for Horse lovers. 2560' of South Facing frontage on Harman Road, & 1850' of gently uphill sloping land to the Crown Forest. This is truly a legacy property only 10 minutes away from the Langdale Ferry Terminal in Roberts Creek. Eight proven high volume wells on the South side of Harman Road. (id:27476)

Property Highlights

MLS® Number
R2953279
Type
Vacant Land
Ownership Type
Freehold
Land Size
98 ac

Building

Amenities
Golf Course
Fireplace Present
No
Basement Type
Basement Features
Building Heating Type
Heating Fuel
Building Cooling Type

Location