6377 N Gale Avenue, Sechelt, British Columbia V7Z 0P7

Listed for:
$1,650,000
5 beds
4 baths
Listed 31 days ago
House for rent: 6377 N Gale Avenue, Sechelt, British Columbia V7Z 0P7

View all 38 photos

Learn more about this property
Listing provided by:
Sotheby's International Realty Canada
MLS® number:
R3007099
Agent:
Gina Stockwell
*Indicates required field
Name is required
Email is required
Please enter a valid phone number (e.g., 416-111-1111).

About

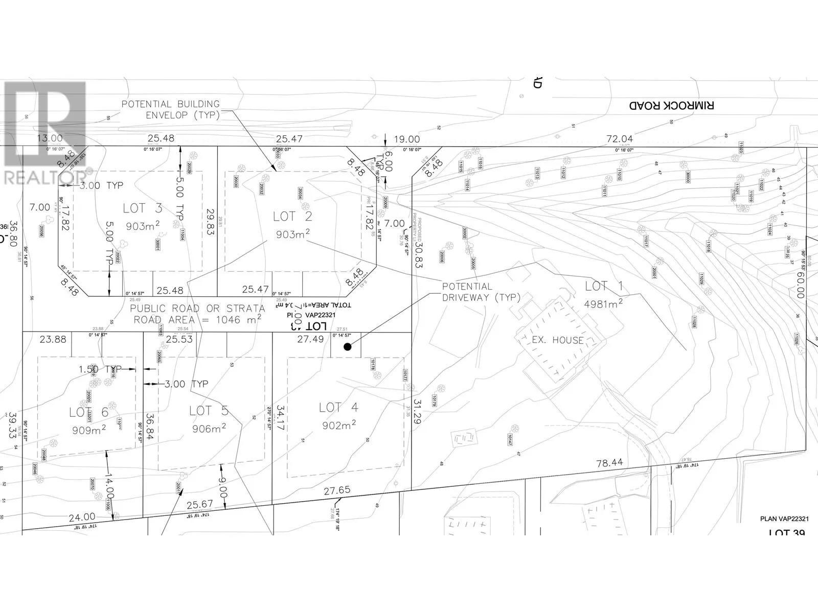
Investor Alert! 2.6 acres, subdividable into six ocean-view lots or possible townhomes. Geotech reports, subdivision plans, and surveys available. The beautiful ocean-view acreage is gently sloped, offering exceptional privacy with meadow-like areas and a plethora of apple, cherry, and nut trees. The home has been recently updated with a new kitchen, stainless steel appliances, gas stove, new flooring, paint, and modern spa-like bathrooms with quartz counters. A secondary suite is available on the lower level, perfect for overflow guests or in-laws. Conveniently located minutes from Kinnikinnik Park and Elementary School, this property presents an excellent opportunity to create a large family estate or develop as desired. A rare opportunity to own ocean-view acreage in Sechelt! (id:27476)

Property Highlights

MLS® Number
R3007099
Type
Single Family
Ownership Type
Freehold
Land Size
2.61 ac
Parking Space Total
3

Building

Building Type
House
Square Footage
2699 sqft
Bathrooms Total
4
Bedrooms Total
5
Fireplace Present
No
Basement Type
Unknown (Finished)
Basement Features
Unknown
Building Heating Type
Baseboard heaters, Hot Water
Heating Fuel
Building Cooling Type

Location

Street Spotlight - For sale