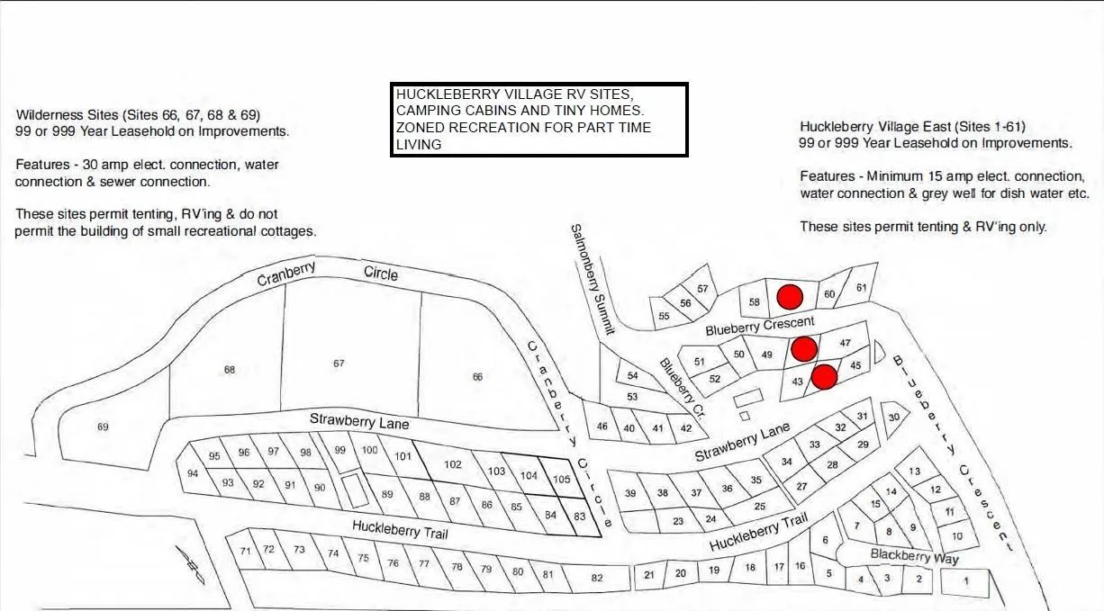
H44 Strawberry Lane|sunshine Valley, Sunshine Valley, British Columbia V0X 1L5

Listed for:
$179,900
0 beds
0 baths
Listed 122 days ago
Recreational for rent: H44 Strawberry Lane|sunshine Valley, Sunshine Valley, British Columbia V0X 1L5

View all 37 photos

About

RV Site with Snowshed w/Huge Addition with the balance of 999 year Pre-Paid registered Lease in the Recreational Community of Sunshine Valley near Manning Park. The lease has been fully pre-paid for 999 years and there are no monthly or yearly lease payments or pad rental. This large lot features 30amp electric, untreated water and a grey water drainage pit. Snowshed with a huge addition seems like your own little cabin. Make it your own! Price inclds 5th Wheel RV current on the property w/papers. ATV and Motorbike friendly. Only 2 hours from Vancouver. Zoned for Recreational Part-time Use Only (means up to 180 nights/year). Only 2 hours from Vancouver. No Borders, No Ferries. Get back to nature, a weekend at at time! (id:27476)

Property Highlights

MLS® Number
R3079874
Type
Single Family
Ownership Type
Leasehold Condo/Strata
Land Size
1882 sqft

Building

Building Type
Recreational
Fireplace Present
No
Basement Type
Basement Features
Building Heating Type
Heating Fuel
Building Cooling Type

Location

Learn more about this property
Listing provided by:
Team 3000 Realty Ltd.
MLS® number:
R3079874
Agent:
Walter W Rawlinson
*Indicates required field
Name is required
Email is required
Please enter a valid phone number (e.g., 416-111-1111).