5072 Berland Bend, Windermere, British Columbia V0A 1K3

Listed for:
$929,999
4 beds
3 baths
Listed 193 days ago
House for rent: 5072 Berland Bend, Windermere, British Columbia V0A 1K3

View all 11 photos

Learn more about this property
Listing provided by:
Royal LePage Rockies West
MLS® number:
10346649
Agent:
Dk Rice
*Indicates required field
Name is required
Email is required
Please enter a valid phone number (e.g., 416-111-1111).

About

This stunning new spec home in Copper Point Estates combines modern design with breathtaking Rocky Mountain views. Enjoy expansive vistas from the private back deck or wake up to them each morning from the primary bedroom. Featuring four spacious bedrooms—two on the main level and two on the fully finished lower level—this home offers flexible living for families or guests. The open-concept main floor includes vaulted ceilings in the living area and 9-foot ceilings throughout, creating a bright and spacious atmosphere that continues downstairs. An oversized 600 sq. ft. double garage offers ample space for vehicles, a boat, gear, or workshop needs. The private backyard is ideal for gardening, relaxing, or future outdoor enhancements. Located minutes from downtown Invermere, walking trails, and Copper Point Golf Courses, and just a short bike or walk to Mount Swansea’s renowned hiking and biking trails. Whether as a full-time home or refined retreat, this Copper Point Estates gem offers the perfect balance of luxury, comfort, and outdoor lifestyle. (id:27476)

Property Highlights

MLS® Number
10346649
Type
Single Family
Community Name
Copper Point Estates
Maintenance Fee
70.00
Ownership Type
Strata
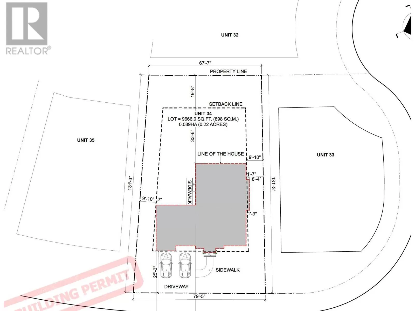
Land Size
0.22 ac|under 1 acre
Parking Space Total
2

Building

Building Type
House
Storeys
1.00
Square Footage
2536 sqft
Bathrooms Total
3
Bedrooms Total
4
Amenities
Golf Nearby, Recreation, Ski area
Exterior Finish
Stone
Fireplace Present
No
Basement Type
Basement Features
Building Heating Type
Heat Pump
Heating Fuel
Building Cooling Type
Heat Pump

Utilities

Water
Community Water User's Utility
Utility Sewer
Municipal sewage system

Room Layout

Bedroom
Basement
11' x 10'
Bedroom
Basement
11' x 9'
Full bathroom
Basement
Measurements not available
Family room
Basement
21' x 29'
Bedroom
Main level
9' x 12'
Full ensuite bathroom
Main level
Measurements not available
Primary Bedroom
Main level
14' x 12'
Full bathroom
Main level
Measurements not available
Great room
Main level
22' x 13'
Kitchen
Main level
13' x 16'

Location