7826 3 Highway, Yahk, British Columbia V0B 2P0

Listed for:
$385,000
2 beds
2 baths
Listed 197 days ago
House for rent: 7826 3 Highway, Yahk, British Columbia V0B 2P0

View all 34 photos

Learn more about this property
Listing provided by:
Century 21 Purcell Realty Ltd
MLS® number:
10352619
Agent:
Gerald Walsh
*Indicates required field
Name is required
Email is required
Please enter a valid phone number (e.g., 416-111-1111).

About

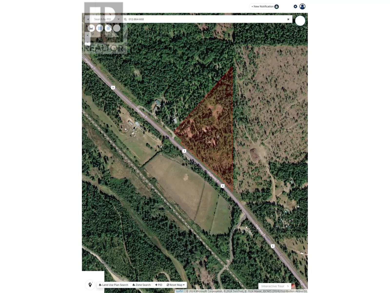
This property is an incredible opportunity. The BC Assessment value is $660,000, but it’s currently listed at $399,000.00 Set on 15.1 acres, approximately 20 minutes from Creston, this property provides ample space for privacy, outdoor activities, and expansion. Additionally, a 200-amp electrical service offering the capacity needed for developments and upgrades. The modern main home structure is an open canvas, ready to be designed into your ideal layout. With imagination and effort, it can be transformed into your perfect home or retreat. This 1978 two-story house features two bedrooms, two bathrooms, and is zoned R4. It is also zoned for a bed and breakfast, opening up additional income opportunities. The property includes a Cabin and a fully powered 32'x12' shop, making it versatile for many uses—whether you’re considering an in-law suite, a family home, or a rental. There’s plenty of space and potential to bring your vision to life. The bylaws allow for micro-cultivation and micro-processing for cannabis, nurseries, greenhouses, florists, veterinary clinics, kennels, horse riding stables, boarding stables, horticulture, and more. Additionally, there may be potential to subdivide into two-hectare parcels, providing flexibility for development. (id:27476)

Property Highlights

MLS® Number
10352619
Type
Single Family
Ownership Type
Freehold
Land Size
15.1 ac|10 - 50 acres

Building

Building Type
House
Storeys
2.00
Square Footage
1454 sqft
Bathrooms Total
2
Bedrooms Total
2
Amenities
Recreation
Exterior Finish
Stucco
Fireplace Present
No
Basement Type
Full
Basement Features
Building Heating Type
Baseboard heaters
Heating Fuel
Building Cooling Type

Utilities

Water
Well
Utility Sewer
Septic tank

Room Layout

Bedroom
Second level
13'8'' x 10'7''
Primary Bedroom
Second level
13'9'' x 12'0''
4pc Bathroom
Basement
Measurements not available
Laundry room
Main level
6'11'' x 5'11''
4pc Bathroom
Main level
Measurements not available
Kitchen
Main level
7'11'' x 8'0''
Dining room
Main level
17'10'' x 7'0''
Living room
Main level
22'8'' x 11'0''

Location