25-4 Main River Road, Bass River, New Brunswick E4W 2S7

Listed for:
$300,000
0 beds
0 baths
Listed 134 days ago
25-4 Main River Road, Bass River, New Brunswick E4W 2S7

View all 17 photos

About

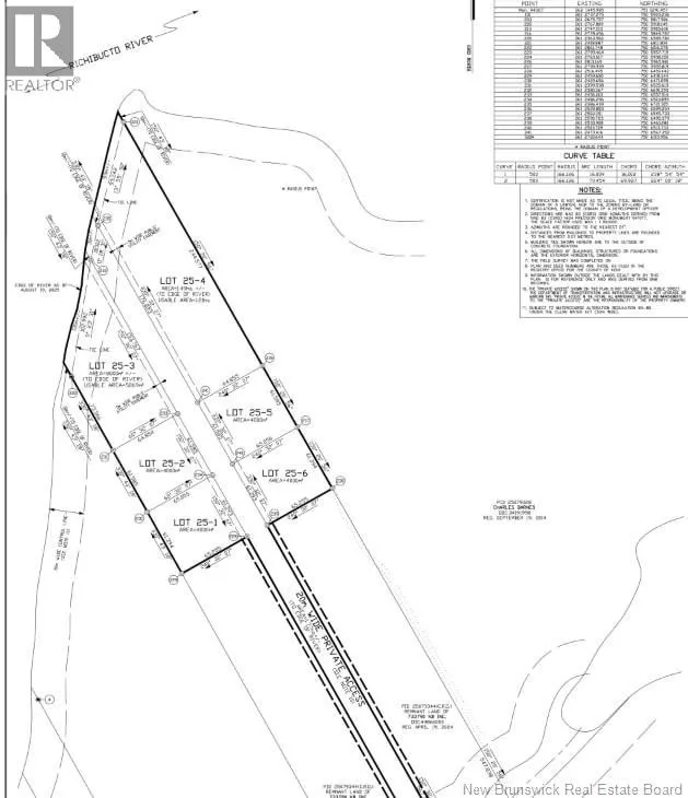
From Main river road, head towards the river Welcome to a brand-new riverfront community in Bass River offering a limited selection of stunning waterfront and waterview lots along the scenic Richibucto River. This is your chance to build the home or getaway youve always dreamed of, with direct river access, included boat slips, and breathtaking views in every direction. Whether you choose a lot right on the water or one with elevated views, each property offers the perfect blend of privacy and natural beauty. Enjoy fishing, boating, and relaxing just steps from your door, with electricity currently being installed to every lot for added convenience. These spacious parcels are ideal for a full-time residence, vacation retreat, or investment opportunity, all just minutes from Richibucto and local amenities. Dont miss this rare opportunity to own in an up-and-coming waterfront subdivisionsecure your spot today and start living the river life youve been waiting for! (id:27476)

Property Highlights

MLS® Number
NB128482
Type
Vacant Land
Ownership Type
Freehold
Land Size
3.681 ac

Building

Amenities
Golf Course
Fireplace Present
No
Basement Type
Basement Features
Building Heating Type
Heating Fuel
Building Cooling Type

Utilities

Water
None
Utility Sewer
No sewage system

Location

Learn more about this property
Listing provided by:
RE/MAX Quality Real Estate Inc.
MLS® number:
NB128482
Agent:
Joshua Bell
*Indicates required field
Name is required
Email is required
Please enter a valid phone number (e.g., 416-111-1111).