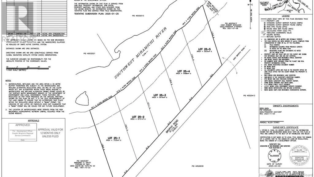
25-1 Brophy Road, Cains River, New Brunswick E9B 1P8

Listed for:
$39,900
0 beds
0 baths
Listed 298 days ago
25-1 Brophy Road, Cains River, New Brunswick E9B 1P8

View all 3 photos

About

SOUTHWEST MIRAMICHI RIVER WATERFRONT located in the highly sought after area of Cains River for outdoors men' - Settle into nature with this beautiful 7,535 sqm (approx. 1.86 acre) parcel of land along the scenic Southwest Miramichi River. With stunning views and space to bring your vision to life, this property offers the perfect blend of peace, privacy, and recreational opportunity. Whether you're dreaming of a seasonal getaway, a future build, or simply a quiet place to enjoy the outdoors, the setting here is unmatched. The Southwest Miramichi River is beloved for its peaceful waters, canoeing, fishing, and natural charm. Land will be subdivided on or before closing, providing you with a fresh title and a fresh start. Dont miss your chance to own a slice of riverfront in one of New Brunswicks most beautiful areasreach out today for more details! (id:27476)

Property Highlights

MLS® Number
NB121346
Type
Vacant Land
Ownership Type
Freehold
Land Size
7535 m2

Building

Fireplace Present
No
Basement Type
Basement Features
Building Heating Type
Heating Fuel
Building Cooling Type

Utilities

Water
None
Utility Sewer
No sewage system

Location

Learn more about this property
Listing provided by:
MLS® number:
NB121346
Agent:
Lisa Hare
*Indicates required field
Name is required
Email is required
Please enter a valid phone number (e.g., 416-111-1111).