N/a Furlong Road, Cloverdale, New Brunswick E7P 1W9

Listed for:
$29,900
0 beds
0 baths
Listed 50 days ago
N/a Furlong Road, Cloverdale, New Brunswick E7P 1W9

View all 1 photos

Learn more about this property
Listing provided by:
Century 21 All Seasons Realty
MLS® number:
NB124764
Agent:
Linda Currie
*Indicates required field
Name is required
Email is required
Please enter a valid phone number (e.g., 416-111-1111).

About

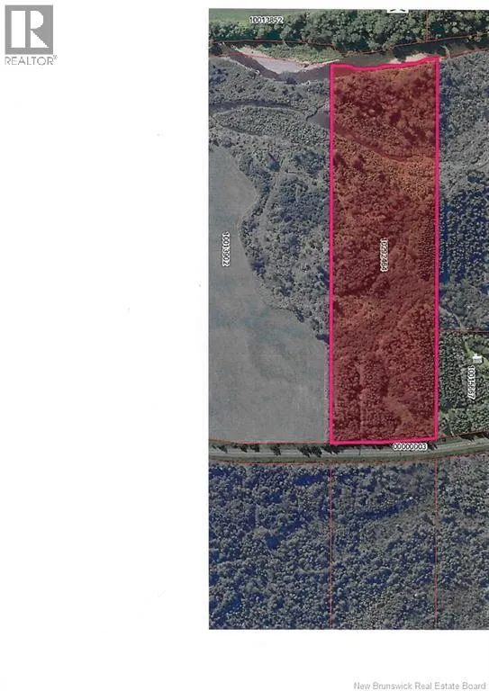
From 104 take Furlong Road Wooded acerage on the north branch of the Becaguimec Stream. Great spot to build your forever home or getaway. Bring your four wheeler or hiking boots. Some wetlands near the river but good area at front for building. Power goes by property. (id:27476)

Property Highlights

MLS® Number
NB124764
Type
Vacant Land
Ownership Type
Freehold
Land Size
8.99 ac

Building

Amenities
Shopping
Fireplace Present
No
Basement Type
Basement Features
Building Heating Type
Heating Fuel
Building Cooling Type

Utilities

Water
None
Utility Sewer
No sewage system

Location