Lot Kingsley Road, Estey's Bridge, New Brunswick E3G 6G8

Listed for:
$179,900
0 beds
0 baths
Listed 56 days ago
Lot Kingsley Road, Estey's Bridge, New Brunswick E3G 6G8

View all 11 photos

About

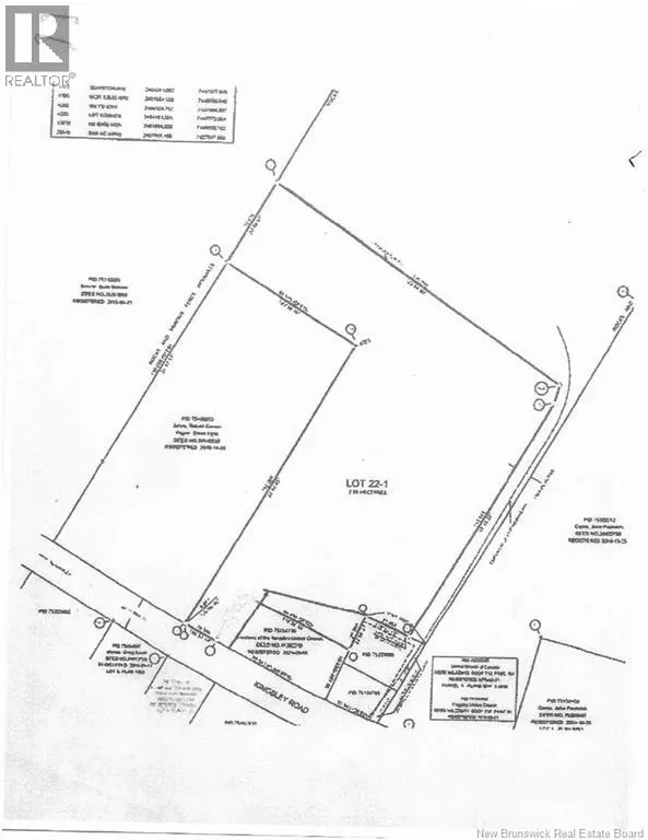
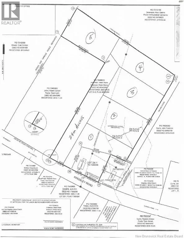
Royal Rd to Kingsley Rd , turn left , property on right just past the community mailboxes .No sign Discover an exceptional opportunity on Kingsley Road in Esteys Bridge, where a generous 6.375-acre parcel awaits your vision. Conveniently located just 14 minutes from Brookside Mall, this property boasts ample space for developing a commercial enterprise or the potential to subdivide into five building lots. With its strategic location and the promise of growth in the area, this offering is priced to inspire the budding developer. Dont miss your chance to capitalize on this prime piece of real estate! (id:27476)

Property Highlights

MLS® Number
NB131167
Type
Vacant Land
Ownership Type
Freehold
Land Size
6.37 ac

Building

Fireplace Present
No
Basement Type
Basement Features
Building Heating Type
Heating Fuel
Building Cooling Type

Utilities

Water
None
Utility Sewer
No sewage system

Location

Learn more about this property
Listing provided by:
REMAX East Coast Elite Realty
MLS® number:
NB131167
Agent:
Ken Langdon
*Indicates required field
Name is required
Email is required
Please enter a valid phone number (e.g., 416-111-1111).