N/a Maple Grove Road, Maple Grove, New Brunswick E6B 1W2

Listed for:
$105,000
0 beds
0 baths
Listed 26 days ago
N/a Maple Grove Road, Maple Grove, New Brunswick E6B 1W2

View all 2 photos

Learn more about this property
Listing provided by:
Century 21 All Seasons Realty
MLS® number:
NB128972
Agent:
Walter Warford
*Indicates required field
Name is required
Email is required
Please enter a valid phone number (e.g., 416-111-1111).

About

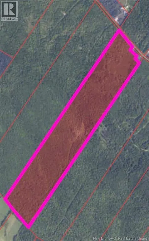
Take Killarney Rd to 148 then left on English Settlement to Main St Stanley. Take Graveyard Hill/Route 107 to Maple Grove Rd. Approximately 6 kms from the corner of 107 and Maple Grove Rd on the left. Approximately 105 acres of woodland offering natural beauty and investment potential. The property was commercially thinned 2025 years ago by Your County Wood Producers, allowing for strong regrowth and future harvest opportunities. A former access road runs through the centernow grown in but easily reopened for access. A scenic brook also winds through the property, adding to its appeal as a site for timber harvesting, recreation, or a private retreat. (id:27476)

Property Highlights

MLS® Number
NB128972
Type
Vacant Land
Ownership Type
Freehold
Land Size
105.4 ac

Building

Fireplace Present
No
Basement Type
Basement Features
Building Heating Type
Heating Fuel
Building Cooling Type

Utilities

Water
None
Utility Sewer
No sewage system

Location