355 Hampton Road, Quispamsis, New Brunswick E2E 4W1

Listed for:
$329,000
0 beds
0 baths
Listed 15 days ago
355 Hampton Road, Quispamsis, New Brunswick E2E 4W1

View all 31 photos

About

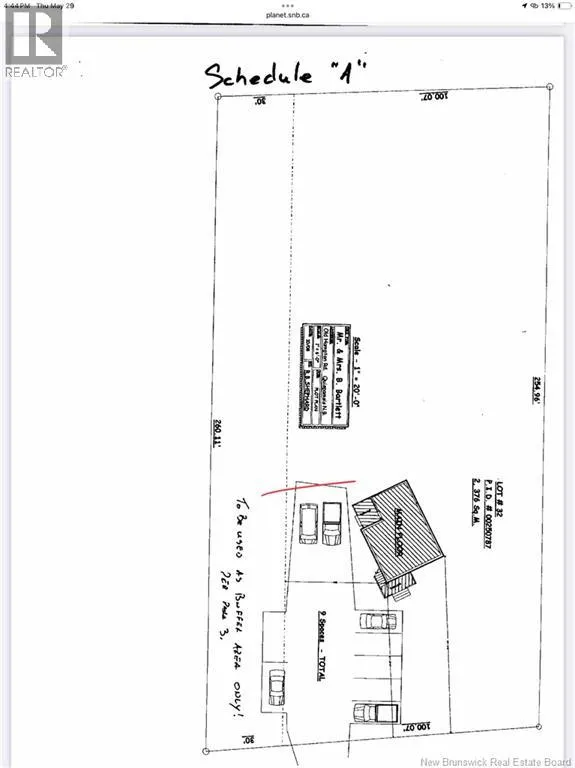
Located on Hampton Rd across from Quispamsis arena. Prime location for a business or a future multi unit. Currently zoned Neighbourhood Commercial, the options to live where you work or generate investment income is all on the table. With 130 ft road frontage, over 10 parking spaces and centrally located in Quispamsis. Propery includes 2 lots in one. 2 bedroom apartment upstairs currently has a tenant $800 heat and lights (this can be separated) and lower unit is vacant with recent updates so is move in ready. Both seacans and quantson are not included and will be removed. All measurements to be confirmed by buyer. Town of Quispamsis must confirm business usage meets Neighbourhood/Commercial zoning. Offers are reviewed on a one to one basis. 24 hr notice to view apartment. 48hr irrevocable required. Proof of financial capability and Schedule A to accompany all offers. (id:27476)

Property Highlights

MLS® Number
NB132834
Type
Other
Ownership Type
Freehold
Land Size
33650 sqft

Building

Square Footage
1525 sqft
Fireplace Present
No
Basement Type
Basement Features
Building Heating Type
Baseboard heaters
Heating Fuel
Building Cooling Type
Air Conditioned

Location

Learn more about this property
Listing provided by:
EXIT Realty Specialists
MLS® number:
NB132834
Agent:
Liane Daigle
*Indicates required field
Name is required
Email is required
Please enter a valid phone number (e.g., 416-111-1111).