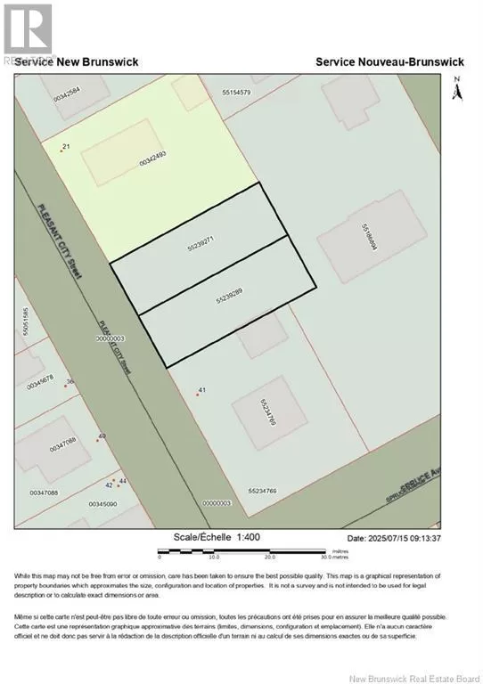
21-1 Pleasant City Street, Saint John, New Brunswick E2J 1E8

Listed for:
$35,000
0 beds
0 baths
Listed 125 days ago
21-1 Pleasant City Street, Saint John, New Brunswick E2J 1E8

View all 3 photos

Learn more about this property
Listing provided by:
Century 21 All Seasons Realty
MLS® number:
NB123249
Agent:
Milad Debly
*Indicates required field
Name is required
Email is required
Please enter a valid phone number (e.g., 416-111-1111).

About

A residential lot on a short and quiet street in East Saint John, above Bayside Drive and just over one kilometer from city center. The lot was surveyed in 2021. Previous to current ownership, this lot was owned by the same family for over 70 yrs and is now ready for you! (id:27476)

Property Highlights

MLS® Number
NB123249
Type
Vacant Land
Ownership Type
Freehold
Land Size
3498 sqft

Building

Fireplace Present
No
Basement Type
Basement Features
Building Heating Type
Heating Fuel
Building Cooling Type

Utilities

Water
Municipal water
Utility Sewer
Municipal sewage system

Location