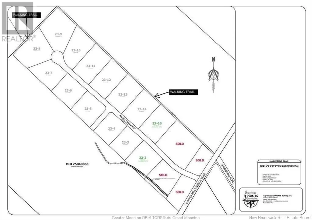
Lot 23-2 B De La Paix, Sainte-Marie-De-Kent, New Brunswick E4S 2L8

Listed for:
$19,900
0 beds
0 baths
Listed 219 days ago
Lot 23-2 B De La Paix, Sainte-Marie-De-Kent, New Brunswick E4S 2L8

View all 12 photos

Learn more about this property
Listing provided by:
eXp Realty
MLS® number:
NB116051
Agent:
Gabrielle Picard
*Indicates required field
Name is required
Email is required
Please enter a valid phone number (e.g., 416-111-1111).

About

From Route 515 turn into Coates Mills North Rd, land to be on the right. Escape to Nature Build Your Dream Retreat in Coates Mills! Looking for peace, privacy, and a chance to reconnect with nature? Discover this untouched, forested gem in beautiful Coates Mills, just 30 minutes from Moncton. Whether youre dreaming of a cozy cottage, a weekend getaway, or a forever home surrounded by trees and wildlife, this property offers the perfect backdrop.Nestled in a tranquil setting, the lot is secluded yet conveniently locatedonly 5 minutes to the nearest gas station and 15 minutes to shops, restaurants, and other amenities. Just a short 5-minute walk to the scenic Bouctouche River, where you can fish, swim, canoe, or kayak your cares away. The river flows directly into the ocean, with the stunning Bouctouche Dunes and sandy beaches just 25 minutes away.Explore walking trails winding through the forest, and enjoy the peaceful energy of nature right outside your door. This is more than a lotits a lifestyle. Whether youre after quiet mornings with birdsong or evenings by the fire under the stars, this property has it all. Lot to be surveyed and subdivided into 1.5 acres or more, depending on your preferred size.HST not included.The possibilities are endless!Dont miss out on your chance to own a slice of paradise. Call your REALTOR® today to learn more! (id:27476)

Property Highlights

MLS® Number
NB116051
Type
Vacant Land
Ownership Type
Freehold
Land Size
1.5 ac

Building

Amenities
Marina, Shopping
Fireplace Present
No
Basement Type
Basement Features
Building Heating Type
Heating Fuel
Building Cooling Type

Utilities

Water
None
Utility Sewer
No sewage system

Location