25 Seal Harbour Road Unit#parcel A, Change Islands, Newfoundland & Labrador A0G 1R0

Listed for:
$50,000
0 beds
0 baths
Listed 54 days ago
25 Seal Harbour Road Unit#parcel A, Change Islands, Newfoundland & Labrador A0G 1R0

View all 4 photos

Learn more about this property
Listing provided by:
Outport Realty Inc.
MLS® number:
1282596
Agent:
Bobby Gorman
*Indicates required field
Name is required
Email is required
Please enter a valid phone number (e.g., 416-111-1111).

About

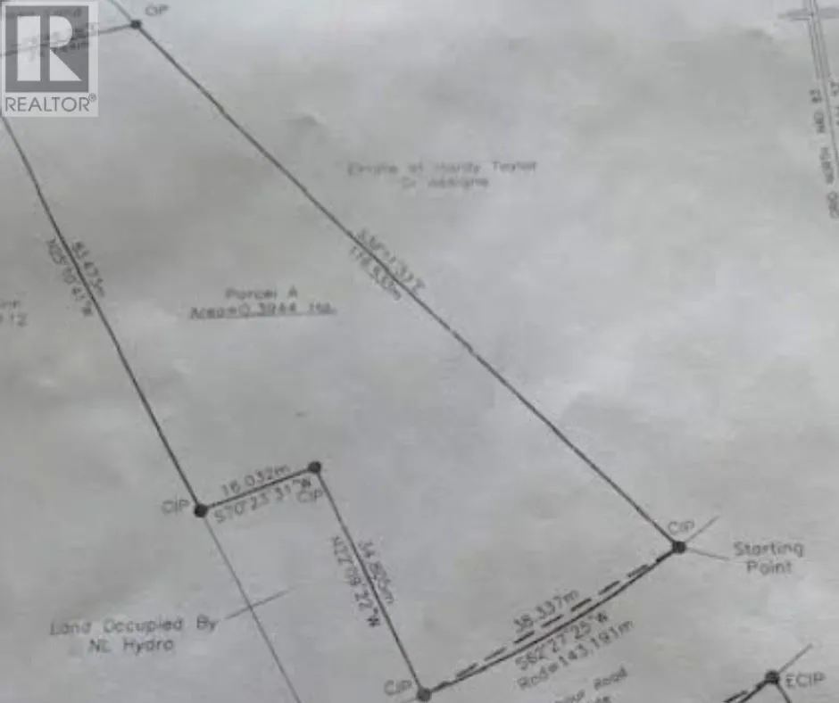
Build your dream home. cottage or rentals on this acre of land across the road from the ocean. Set on beautiful Change Islands, this dream location is perfect to capture the sunrise across the tickle (ocean) as boats come and go with their daily catch. The home across the road is also available if you are looking for a pre-existing property. (id:27476)

Property Highlights

MLS® Number
1282596
Type
Vacant Land
Ownership Type
Freehold
Land Size
0.3944 ha|32,670 - 43,559 sqft (3/4 - 1 ac)

Building

Fireplace Present
No
Basement Type
Basement Features
Building Heating Type
Heating Fuel
Building Cooling Type

Utilities

Water
None
Utility Sewer
No sewage system

Location