109 Conception Bay Highway, Clarkes Beach, Newfoundland & Labrador A0A 1W0

Listed for:
$339,900
3 beds
1 baths
Listed 75 days ago
House for rent: 109 Conception Bay Highway, Clarkes Beach, Newfoundland & Labrador A0A 1W0

View all 39 photos

About

Beautiful home in the Community of Clarke's Beach which not only consists of 1350 Square Foot 3-bedroom bungalow but a large 2 Storey building that could be converted to almost anything. The home was built in the 1950's and boasts charm and that good feeling as soon as you enter the front door, nice open spaces with gleaming hardwood flooring and the living room has a modern propane fireplace. The property offers an ocean view and offers plenty of land with a large lot measuring 111' front footage along the Road and at its deepest is 178', developed at the rear for private family activities it has plenty of privacy and has a small garage for storage and a 2 Storey detached building containing 3,116 Square Feet which is presently used for storage but has an exceptional view of the Bay de Grave Harbour the location would be great to convert into whatever the new owners want including workshop, garage, space for a home based office, personal space or art studio, etc. (id:27476)

Property Highlights

MLS® Number
1294951
Type
Single Family
Ownership Type
Freehold
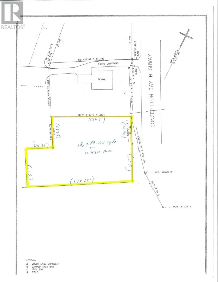
Land Size
111x178x65x44x53x134'|10,890 - 21,799 sqft (1/4 - 1/2 ac)

Building

Building Type
House
Storeys
1.00
Square Footage
2708 sqft
Bathrooms Total
1
Bedrooms Above Ground
3
Bedrooms Total
3
Amenities
Highway, Shopping
Exterior Finish
Vinyl siding
Fireplace Present
Yes
Basement Type
Basement Features
Building Heating Type
Baseboard heaters, Hot water radiator heat
Heating Fuel
Oil
Building Cooling Type

Utilities

Water
Municipal water
Utility Sewer
Municipal sewage system

Room Layout

Porch
Main level
6 x 6
Bedroom
Main level
9.5 x 9.75
Bedroom
Main level
9.75 x 11.5
Bedroom
Main level
11.25 x 11.5
Bath (# pieces 1-6)
Main level
6.25 x 6'8""
Kitchen
Main level
12.5 x 13
Dining room
Main level
9 x 13.25
Living room/Fireplace
Main level
14.5 x 20
Foyer
Main level
4.25x5.5
Workshop
Other
3116 sq ft

Location

Learn more about this property
Listing provided by:
RE/MAX Eastern Edge Realty Ltd. - Bay Roberts
MLS® number:
1294951
Agent:
Frank Evely
*Indicates required field
Name is required
Email is required
Please enter a valid phone number (e.g., 416-111-1111).