1812-1818 Conception Bay Highway, Conception Bay South, Newfoundland & Labrador A1X 6N1

Listed for:
$100,000
0 beds
0 baths
Listed 77 days ago
1812-1818 Conception Bay Highway, Conception Bay South, Newfoundland & Labrador A1X 6N1

View all 9 photos

Learn more about this property
Listing provided by:
Century 21 Seller's Choice Inc.
MLS® number:
1282666
Agent:
Kandi Gannon
*Indicates required field
Name is required
Email is required
Please enter a valid phone number (e.g., 416-111-1111).

About

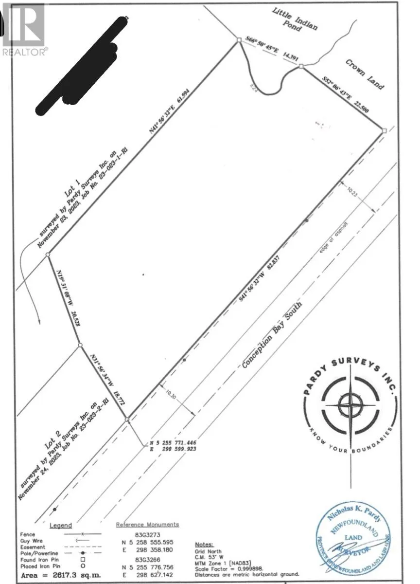
Land is located just before you get to Seal Cove Road along the conception bay highway. It is just past 1810 CBH, Seal Cove. Don't miss this fantastic opportunity to build your dream home on almost 3/4 of an acre in CBS, access to Little Indian Pond with approximately 50' of pond frontage! Stunning lot partially landscaped with beautiful mature trees and pond access. Ideally located, only a minute from peacekeepers highway, close to walking trails and gold course. Now is the perfect time to purchase land and build! Potential for building lots in the future as water and sewer are in the works of continuing along Conception Bay Highway. Purchaser responsible for all Development fees, permits and HST. (id:27476)

Property Highlights

MLS® Number
1282666
Type
Vacant Land
Ownership Type
Freehold
Land Size
271.7 x 73.8 x 47.2 x 202 x 67.3 x 61.6|.5 - 9.99 acres

Building

Fireplace Present
No
Basement Type
Basement Features
Building Heating Type
Heating Fuel
Building Cooling Type

Utilities

Water
None
Utility Sewer
No sewage system

Location