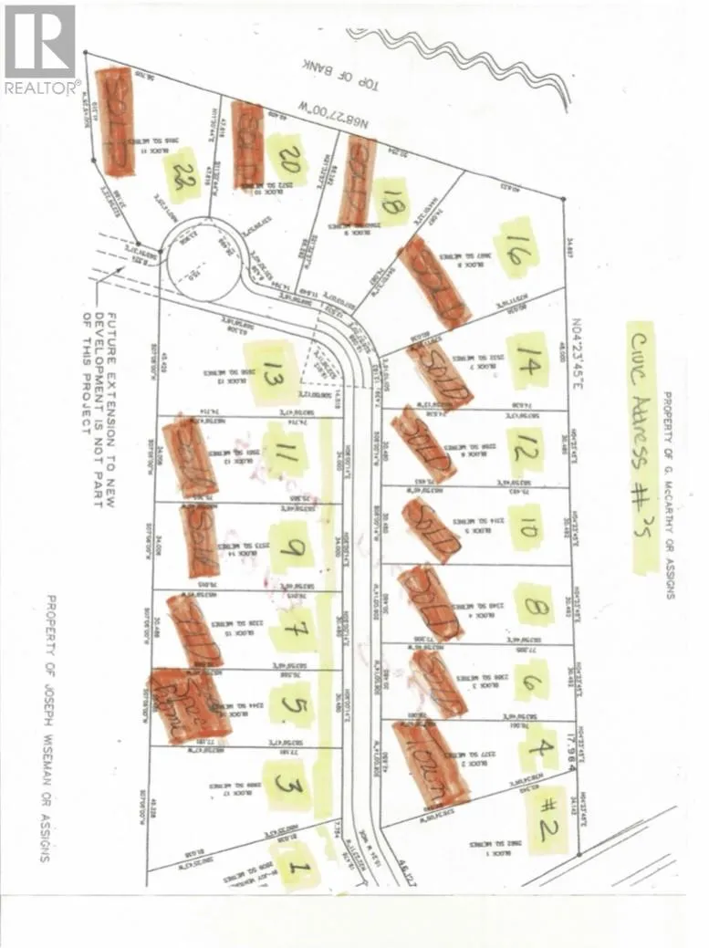
2 Driftwood Drive, Kippens, Newfoundland & Labrador A2N 0C8

Listed for:
$50,000
0 beds
0 baths
Listed 32 days ago
2 Driftwood Drive, Kippens, Newfoundland & Labrador A2N 0C8

View all 8 photos

Learn more about this property
Listing provided by:
Royal LePage NL Realty-Stephenville
MLS® number:
1284706
Agent:
Marcella Pomeroy
*Indicates required field
Name is required
Email is required
Please enter a valid phone number (e.g., 416-111-1111).

About

OCEAN VIEW!! 2 Driftwood Drive is located in the beautiful Town of Kippens in a lovely new subdivision overlooking Bay St. George!! As you enter the subdivision with a breathtaking ocean view & spectacular sunsets, you will find this huge lot to build your DREAM HOME!! This lot has recently been cleared and added a 12 inch culvert in front of the road to the driveway. Walking trails along the oceans edge, minutes from ATV trails and just 5 minutes to the Town of Stephenville. Turn your dream into a reality, Don't delay, call today because there's only a few lots left. HST applicable on purchase price. (id:27476)

Property Highlights

MLS® Number
1284706
Type
Vacant Land
Ownership Type
Freehold
Land Size
151' x 270' (30,806 sq ft)|21,780 - 32,669 sqft (1/2 - 3/4 ac)

Building

Fireplace Present
No
Basement Type
Basement Features
Building Heating Type
Heating Fuel
Building Cooling Type

Utilities

Water
Municipal water
Utility Sewer
No sewage system

Location