75-79 Southeast Road, Placentia, Newfoundland & Labrador A0B 2Y0

Listed for:
$39,000
0 beds
0 baths
Listed 30 days ago
75-79 Southeast Road, Placentia, Newfoundland & Labrador A0B 2Y0

View all 3 photos

About

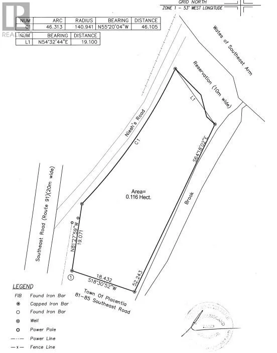
Waterfront land available on the South East Arm. Here's your chance to own your own waterfront property. This affordable lot is ready for your new build. Municipal services are available. Purchaser is responsible for permits and HST if applicable. (id:27476)

Property Highlights

MLS® Number
1295140
Type
Vacant Land
Ownership Type
Freehold
Land Size
12486 sq feet|10,890 - 21,799 sqft (1/4 - 1/2 ac)

Building

Fireplace Present
No
Basement Type
Basement Features
Building Heating Type
Heating Fuel
Building Cooling Type

Utilities

Water
None
Utility Sewer
No sewage system

Location

Learn more about this property
Listing provided by:
3% Realty East Coast
MLS® number:
1295140
Agent:
Jessica Brazil
*Indicates required field
Name is required
Email is required
Please enter a valid phone number (e.g., 416-111-1111).