Lot 24-3 Marshview Drive, Amherst, Nova Scotia B4H 4C1

Listed for:
$50,000
0 beds
0 baths
Listed 50 days ago
Lot 24-3 Marshview Drive, Amherst, Nova Scotia B4H 4C1

View all 20 photos

About

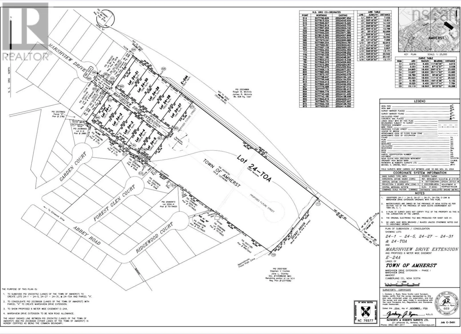
Off off East Victoria onto Marshview Drive, follow to the end of the paved cul-de-sac. Watch for signs. Welcome to Marshview Drive Extension, the latest addition to Amhersts sought-after, family-friendly neighbourhood! Situated on the edge of town, this vibrant community offers an exceptional opportunity to build your dream home in a location that combines convenience, privacy, and natural beauty. Phase 1 features 10 premium lots, each averaging 15,198 sq/ft (or approximately 0.34 acres), providing ample space for your new home, plus room for kids, pets, or outdoor enjoyment. These lots offer access to municipal water and sewer services, ensuring both practicality and comfort for your new build. As Amherst continues to grow and, the demand for larger, well-located parcels has never been greater. With numerous housing developments underway across the town, opportunities like these are rare-and they wont last long. Take advantage of this chance to select your ideal lot of this exciting new development! This particular lot-Lot 24-3-spans 14,251 sq/ft and features a gentle slope, ideal for a basement build with egress windows, allowing for natural light on the lower level. Restrictive covenants are in place to maintain the high standards of the community, dont miss out on this incredible opportunity! (id:27476)

Property Highlights

MLS® Number
202601255
Type
Vacant Land
Community Name
Amherst
Ownership Type
Freehold
Land Size
0.3272 ac

Building

Fireplace Present
No
Basement Type
Basement Features
Building Heating Type
Heating Fuel
Building Cooling Type

Utilities

Water
Municipal water
Utility Sewer
Municipal sewage system

Location

Learn more about this property
Listing provided by:
Royal LePage Cumberland Realty Ltd.
MLS® number:
202601255
Agent:
Tony Mitchell
*Indicates required field
Name is required
Email is required
Please enter a valid phone number (e.g., 416-111-1111).

Community Spotlight: Homes For sale in Your Neighborhood