Lot Small Gains Road, Arcadia, Nova Scotia B5A 5J1

Listed for:
$39,900
0 beds
0 baths
Listed 74 days ago
Lot Small Gains Road, Arcadia, Nova Scotia B5A 5J1

View all 3 photos

About

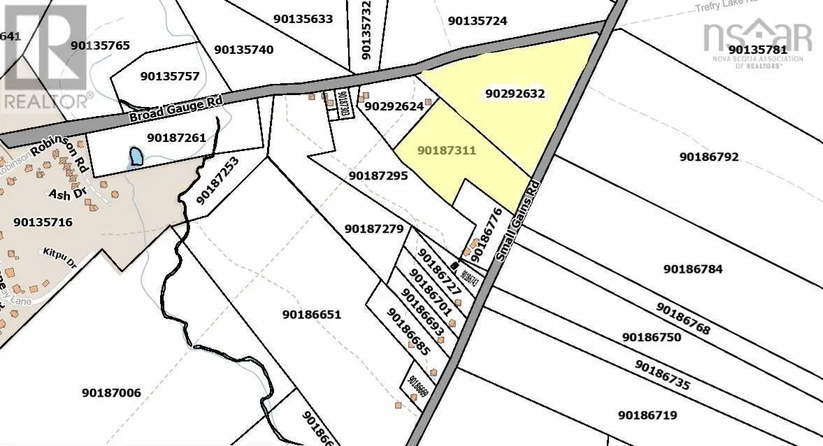
From Yarmouth to Hwy #3 then left on Small Gains Rd . signed on the left at intersection. Are you looking for 16 acres of resource land just minutes outside of Yarmouth with roads on 2 sides? This property may be for you . It is broken down in 2 parcels one consisting of 7.5 acres and the second one consisting of approximately 9 acres. Possibly you could develop each one or just have some resource land in the country to go and stretch out on . Have a look to see if this is something that works for you. (id:27476)

Property Highlights

MLS® Number
202603935
Type
Vacant Land
Community Name
Arcadia
Ownership Type
Freehold
Land Size
16.5 ac

Building

Fireplace Present
No
Basement Type
Basement Features
Building Heating Type
Heating Fuel
Building Cooling Type

Utilities

Water
None
Utility Sewer
No sewage system

Location

Learn more about this property
Listing provided by:
The Real Estate Store
MLS® number:
202603935
Agent:
Mike Randall
*Indicates required field
Name is required
Email is required
Please enter a valid phone number (e.g., 416-111-1111).