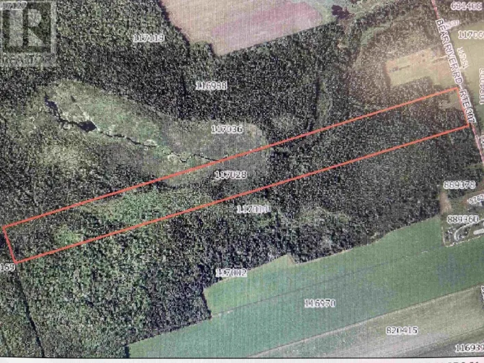
Lots Lansdowne Road, Bear River, Nova Scotia B0S 1B0

Listed for:
$99,900
0 beds
0 baths
Listed 141 days ago
Lots Lansdowne Road, Bear River, Nova Scotia B0S 1B0

View all 32 photos

About

From Digby, Lansdowne Road, properties are across from civic #1674 - look for Realtor sign Introducing two surveyed lots totaling 3.5 acres that truly bring the wow factor. Elevated and gently sloping, these properties offer breathtaking views of Bear River right before you, creating an inspiring setting for your dream home. A driveway is already in place, leading you to what could be the most idyllic spot to bring your visions to life. Just moments away from the picturesque Village of Bear Riveraffectionately known as "the Switzerland of Nova Scotia" or the Tidal Village on Stiltsyou'll discover a vibrant community filled with local art galleries, charming coffee shop, cozy cafes, and local amenities. The lots have been primarily cleared, showcasing mature trees, including beautiful apple and some hardwood which enhance the natural landscaping and overall appeal. Come see these stunning lots for yourself; they truly will not disappoint! (id:27476)

Property Highlights

MLS® Number
202424072
Type
Vacant Land
Community Name
Bear River
Ownership Type
Freehold
Land Size
3.5 ac

Building

Fireplace Present
No
Basement Type
Basement Features
Building Heating Type
Heating Fuel
Building Cooling Type

Utilities

Water
None
Utility Sewer
No sewage system

Location

Learn more about this property
Listing provided by:
Exit Realty Town & Country
MLS® number:
202424072
Agent:
Shauna Denton
*Indicates required field
Name is required
Email is required
Please enter a valid phone number (e.g., 416-111-1111).

Community Spotlight: Homes For sale in Your Neighborhood