439 Beaverbank Road, Beaver Bank, Nova Scotia B4E 3A5

Listed for:
$2,995,000
0 beds
0 baths
Listed 377 days ago
439 Beaverbank Road, Beaver Bank, Nova Scotia B4E 3A5

View all 7 photos

Learn more about this property
Listing provided by:
Keller Williams Select Realty (Branch)
MLS® number:
202426248
Agent:
Philip Bolhuis
*Indicates required field
Name is required
Email is required
Please enter a valid phone number (e.g., 416-111-1111).

About

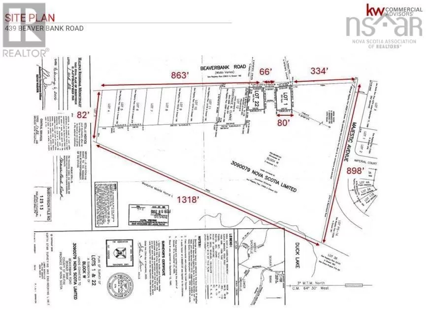
Take exit 2 from HWY 101 ,Beaverbank Road, # 439, corner of majestic Large Undeveloped municipally serviced lot on the Beaverbank Road and Majestic Avenue corner, 3.7 KM from the Sackville Dr & Beaverbank Rd Starbucks with 2.76 Acre corner Zoned C-4 Highway Commercial and zoned 9.59 Acres zoned MU- 1, ideally for residential development. Potential to Re-zone for high rise development, not as of right. MU-1 zone residential uses governed by R-6 Zone, and C-4 Zone allows all uses in C-2. 898frontage to Majestic Ave, and 400' of frontage(combined) to Beaverbank Road. (id:27476)

Property Highlights

MLS® Number
202426248
Type
Vacant Land
Community Name
Beaver Bank
Ownership Type
Freehold
Land Size
12.35 ac

Building

Fireplace Present
No
Basement Type
Basement Features
Building Heating Type
Heating Fuel
Building Cooling Type

Utilities

Water
Municipal water
Utility Sewer
Municipal sewage system

Location